
Scheffold Immobilien GmbH
Simon Dilger
073 ···
Nr. anzeigenPreise & Kosten
Provision für Käufer
2.000,00 € inkl. 19 % MwSt.
Lage
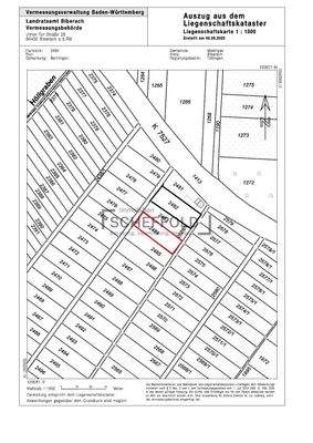
Die Ihnen hier angebotene Ackerfläche/Wiese befindet sich westlich von Baltringen, einem Ortsteil der Gemeinde Mietingen auf der Gemarkung Hut.
Die Gemarkung liegt gut angebunden über befestigte Feldwege.
Land-/Forstwirtschaft
Bezug
sofort
Details
Objektbeschreibung
Attraktives Flächenpaket - Wiesen, Wald und Acker in guter Lage!
Wir freuen uns, Ihnen ein vielseitiges Grundstücksangebot im Westen von Baltringen präsentieren zu dürfen. Zum Verkauf stehen mehrere Wiesen-, Wald- und Ackerflächen in guter Lage - zusammen ergeben sie eine schöne Gesamtfläche von 11.735 m².
Das...
Weitere Informationen
Sonstiges
Webseite - https://scheffold-immobilien.de/immobilien/8615
Stichworte
Bundesland: Baden-Württemberg
Anbieter der Immobilie
Online-ID: 2lgdc5q
Referenznummer: 8615
Finde Angebote wie dieses
Hier geht es zu unserem Impressum, den Allgemeinen Geschäftsbedingungen, den Hinweisen zum Datenschutz und nutzungsbasierter Online-Werbung.