

Massivhaus Unna GmbH
Herr Gregor Mentel
017 ···
Nr. anzeigenPreise & Kosten
Provision für Käufer
Bitte beachte, das Angebot beinhaltet bei Vertragsabschluss die Zahlung einer Provision. Weitere Informationen erhältst Du vom Anbieter.
Lage
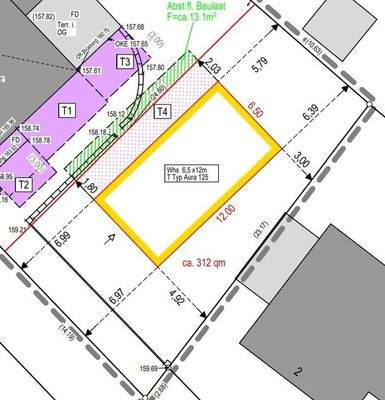
Top-Lage in Menden – Bischof-Drobe-Straße
Das Grundstück liegt in einer ruhigen, familienfreundlichen Wohngegend von Menden. Schulen, Kindergärten und weiterführende Bildungseinrichtungen sind fußläufig erreichbar – ideal für Familien mit Kindern.
Die Innenstadt ist schnell erreicht, liegt aber weit genug entfernt, um...
Die Immobilie
Zu diesem Angebot wurden vom Anbieter keine weiteren Daten hinterlegt. Für weitere Informationen bitte den Anbieter kontaktieren.
Nach Informationen fragenDetails
Objektbeschreibung
Zum Verkauf steht ein großzügiges Grundstück mit einer Fläche von 333 Quadratmetern. Mit einer ausgezeichneten Lage und einem Preis von 87.000 Euro bietet es eine ideale Basis für Ihre Baupläne. Der Kauf ist nur in Verbindung mit einem Town and Country Haus möglich. So sichern sie sich nicht nur das perfekte Grundstück...
Weitere Informationen
Sonstiges
Wir empfehlen uns als Ihr Beratungs-Partner vor Ort und beraten Sie gerne. https://gregor-mentel.tc.de/
Als Nr.1 Massivhaus-Anbieter in Deutschland bauen und individualisieren wir Ihr Haus in wenigen Monaten. Deshalb ist der Bau mit uns schnell und sicher:
· Bauzeitgarantie
· 14 Monate...
Dokumente
Anbieter der Immobilie

Online-ID: 2lgyl52
Finde Angebote wie dieses
Hier geht es zu unserem Impressum, den Allgemeinen Geschäftsbedingungen, den Hinweisen zum Datenschutz und nutzungsbasierter Online-Werbung.