
Castellanum
Firma Castellanum Toblach - Dobbiaco
003 ···
Nr. anzeigenPreise & Kosten
Provision für Käufer
3% zzgl. MwSt.
Die Immobilie
Zu diesem Angebot wurden vom Anbieter keine weiteren Daten hinterlegt. Für weitere Informationen bitte den Anbieter kontaktieren.
Nach Informationen fragenDetails
Objektbeschreibung
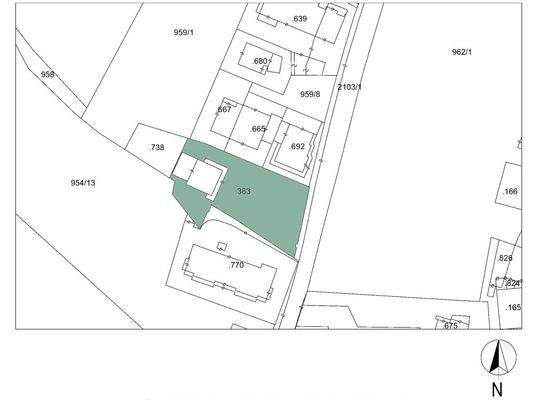
Zum Verkauf steht ein Baugrundstück in Toplage in Antholz Niedertal. Die Grundstücksfläche beträgt 1.053 Quadratmeter. Die verbaubare Kubatur beträgt 2.106 Kubikmeter oberirdisch, basierend auf den aktuellen Richtlinien zur Raumordnung. Zudem besteht eine Bestandskubatur von 907 Kubikmetern oberirdisch und 205 Kubikmetern...
Anbieter der Immobilie
Castellanum
Trattengasse 7, 37042 Brixen (BZ)
Online-ID: 2lgzd5v
Referenznummer: TO13437
Finde Angebote wie dieses
Hier geht es zu unserem Impressum, den Allgemeinen Geschäftsbedingungen, den Hinweisen zum Datenschutz und nutzungsbasierter Online-Werbung.