
Wehner-Wissen-GbR
Herr Daniel Wissen
004 ···
Nr. anzeigenPreise & Kosten
Provision für Käufer
3,57 (inkl. 19% MwSt.) Käuferprovision inkl. MwSt.
Lage
Rudow ist der südlichste Ortsteil des im Süden gelegenen Berliner Bezirks Neukölln. Überwiegend ist Rudow mit Ein- und Mehrfamilienhäusern bebaut, daneben einige Wohnblöcke und dazwischen viel Grün. Zur Naherholung laden das Rudower Fließ und die Rudower Höhe ein, ein 70 Meter hoher Trümmerberg mit Rodelbahn, Spazierwegen und...
Das Haus
Baujahr
2020
Energie & Heizung
Warum sehe ich diese Anzeige? – Du siehst diese Anzeige basierend auf Ihrer Navigation auf unserer Website und den Suchkriterien, die du verwendet hast.
Wärme
Strom
Energieausweistyp
Bedarfsausweis
Gebäudetyp
Nicht-Wohngebäude
Baujahr laut Energieausweis
2020
Wesentliche Energieträger
ERDGAS_SCHWER
Gültigkeit
bis 11.03.2035
Endenergiebedarf (Wärme)
84,00 kWh/(m²·a)
Endenergiebedarf (Strom)
27,10 kWh/(m²·a)
Weitere Energiedaten
Energieträger
Gas
Details
Objektbeschreibung
Renditestarkes, modernes Gewerbeobjekt an etabliertem Standort - ideal für Investoren mit Fokus auf stabile Cashflows - 7,1 % Anfangsrendite
Zum Verkauf steht die linke Hälfte eines modernen Geschäftshauses (Baujahr 2020) mit ca. 432 m² Nutzfläche in gefragter Lage von Berlin-Neukölln/Rudow. Die Immobilie befindet sich...
Ausstattung
Das Objekt ist nach WEG aufgeteilt. Die Einheiten gehören zwei Eigentümern.
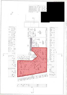
Verkauft wird hier die linke Hälfte mit den Gewerbeeinheiten 1, 7, 8, 9, 10 und 11 (siehe Grundrisse und Fotos).
Es ist kein Einzelverkauf der Gewerbeeinheiten möglich.
Monatliches Hausgeld: 5.020,09 € (zu 100% umgelegt auf die...
Preisinformation
Ist-Mieteinnahmen pro Jahr: 163.800,00 EUR
Weitere Informationen
Sonstiges
Die in diesem Exposé gemachten Aussagen beruhen auf Auskünften Dritter. Die Grundrisse und die Flächenangaben des Auftraggebers zur Wohn- bzw. Nutzfläche sind unverbindlich. Wir übernehmen daher keine Haftung für die hier gemachten Angaben, insbesondere für Preise, Flächenangaben, Grundrisse oder Lageskizzen...
Anbieter der Immobilie
Wehner-Wissen-GbR
Lichtenrader Damm 158, 12305 Berlin
Online-ID: 2lkzg5y
Referenznummer: 1036-125-DW-25
Finde Angebote wie dieses
Hier geht es zu unserem Impressum, den Allgemeinen Geschäftsbedingungen, den Hinweisen zum Datenschutz und nutzungsbasierter Online-Werbung.