
FALC Immobilien Heilbronn
Herr Andreas Franzke
+49 ···
Nr. anzeigenPreise & Kosten
Provision für Käufer
5,95% inkl. 19% MwSt. vom notariellen Kaufpreis.
Weiteres zum Provisionshinweis, siehe unter Punkt: Sonstiges im Exposé.
Lage
Möckmühl ist mit seinen rund 8.000 Einwohnern außerdem eine idyllisch gelegene Stadt an der Jagst. Sie bietet eine Vielzahl an Standortvorteilen wie gute Verkehrsanbindungen, Wirtschaftlichkeit durch Sitz mehrerer Unternehmen (z. B. Kaufland Logistik und das Deutsche Zentrum für Luft- und Raumfahrt (DLR)) und...
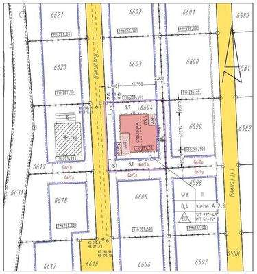
Das Grundstück
Details
Objektbeschreibung
Bauplatz oder Bauvorhaben? Sie entscheiden!
Herr Andreas Franzke von FALC Immobilien Heilbronn freut sich Ihnen, dieses prachtvolle Grundstück mit Baugenehmigung im Neubau-Gebiet von Möckmühl am Brandhölzle vorstellen zu dürfen.
Das Grundstück umfasst 495 m² und bietet Ihnen somit ausreichend viel Fläche, um Ihr...
Ausstattung
Das Grundstück umfasst eine Fläche von 495 m² und bietet attraktive Bebauungsmöglichkeiten.
Aktuell liegt bereits eine genehmigte Bauvariante vor:
Neubau eines Einfamilienhauses mit Einliegerwohnung, inklusive vier PKW-Stellplätzen sowie zwei Terrassen.
Alternativ können Sie sich nach dem geltenden...
Preisinformation
4 Stellplätze
Weitere Informationen
Sonstiges
Die Objektbeschreibung beruht ganz oder zum Teil auf Angaben des Eigentümers, der Text wurde teilweise mit Unterstützung künstlicher Intelligenz bearbeitet und überprüft. Für die Richtigkeit oder Vollständigkeit übernehmen wir keine Gewähr.
Beim ausgewiesenen Preis handelt es sich um den Angebotspreis, der...
Dokumente
Anbieter der Immobilie
FALC Immobilien Heilbronn
Neckarsulmer Str. 2, 74076 Heilbronn
Online-ID: 2lr7t5g
Referenznummer: FALC-FlAb-74490
Finde Angebote wie dieses
Hier geht es zu unserem Impressum, den Allgemeinen Geschäftsbedingungen, den Hinweisen zum Datenschutz und nutzungsbasierter Online-Werbung.