

Klessinger Immobilien
Herr Reinhart Klessinger
081 ···
Nr. anzeigenPreise & Kosten
Provision für Käufer
4,76% Käuferprovision Inkl. MwSt.
Lage
Lage:
Die Lerchenstraße 19 befindet sich in 83052 Bruckmühl, einer Marktgemeinde im oberbayerischen Landkreis Rosenheim. Bruckmühl liegt malerisch im Mangfalltal, etwa 16 Kilometer westlich von Rosenheim.
Die Lerchenstraße ist eine ruhige Wohnstraße, die von Einfamilienhäusern und kleinen Mehrfamilienhäusern...
Das Haus
Bezug
nach Absprache
Energie & Heizung
Warum sehe ich diese Anzeige? – Du siehst diese Anzeige basierend auf Ihrer Navigation auf unserer Website und den Suchkriterien, die du verwendet hast.
Weitere Energiedaten
Haustyp
Massivhaus
Heizungsart
Fußbodenheizung, Luft-/Wasser-Wärmepumpe
Details
Objektbeschreibung
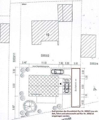
Zum Verkauf steht ein 380 m² großes Baugrundstück mit ein Neubau Einfamilienhaus ca. 125 m² Wohnfläche inkl. bereits genehmigtem Bauvorbescheid.
Die geplanten Maße betragen 8,0 x 11,0 Meter, mit zwei Vollgeschossen und einer Wandhöhe von 5,90 m. Zudem sind eine Garage und ein Außenstellplatz vorgesehen (siehe...
Anbieter der Immobilie

Online-ID: 2lrb65j
Referenznummer: 1782-7
Finde Angebote wie dieses
Hier geht es zu unserem Impressum, den Allgemeinen Geschäftsbedingungen, den Hinweisen zum Datenschutz und nutzungsbasierter Online-Werbung.