

Engel & Völkers Rostock, Warnemünde & Waren
Team Engel & Völkers Rostock
038 ···
Nr. anzeigenPreise & Kosten
Provision für Käufer
7,14%
Lage
Dieses Grundstück befindet sich in Prisannewitz einem Ortsteil der Gemeinde Dummerstorf im Landkreis Rostock in Mecklenburg-Vorpommern. Prisannewitz liegt etwa 15 Kilometer südöstlich von Rostock. Kindertagesstätten, Schulen, Einkaufsmöglichkeiten, Ärzte, Banke, etc. sind in den Nachbargemeinden Kavelstorf und Dummerstorf...
Die Immobilie
Zu diesem Angebot wurden vom Anbieter keine weiteren Daten hinterlegt. Für weitere Informationen bitte den Anbieter kontaktieren.
Nach Informationen fragenDetails
Objektbeschreibung
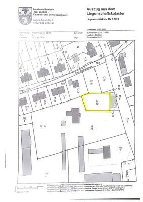
Hier angeboten wird ein erschlossenes Baugrundstück 13/18 mit einer Größe von ca. 1082 m² eingebettet im Ortskern. Laut dem Bauamt Dummerstorf liegt das Grundstück in einem Mischgebiet mit Innenbereichssatzung. Eine Bebauung mit Einfamilien- oder Doppelhäusern ist entsprechend der Nachbarbebauung möglich. Die endgültige...
Weitere Informationen
Courtagepassus
Der Makler-Vertrag mit uns und/oder unserem Beauftragten kommt durch die Bestätigung der Inanspruchnahme unserer Maklertätigkeit in Textform zustande, wie z.B. insbesondere die Unterschrift des Suchkundenvertrages und/oder des Objekt-Exposés. Die Käufercourtage in Höhe von 6 % zuzüglich Umsatzsteuer in...
Anbieter der Immobilie

Online-ID: 2ls3c5l
Referenznummer: W-01UG87
Finde Angebote wie dieses
Hier geht es zu unserem Impressum, den Allgemeinen Geschäftsbedingungen, den Hinweisen zum Datenschutz und nutzungsbasierter Online-Werbung.