

von Schlapp Immobilien - Nadia Schlapp
Frau Gudrun Steffes
065 ···
Nr. anzeigenPreise & Kosten
Provision für Käufer
Bitte beachte, das Angebot kann bei Vertragsabschluss die Zahlung einer Provision beinhalten. Weitere Informationen erhältst Du vom Anbieter.
Lage
Deuselbach im Hunsrück heißt Sie herzlich willkommen.
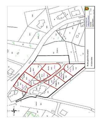
Hier liegen die 8 angebotenen Bauplätze am Rande des Oberdorfes, die sich auf eine größere, leicht abfallende Fläche zwischen der " Erbeskopfstraße" und der Straße "am Weiher", bzw. einem Feldweg erstrecken.
Eine lockere Bebauung zum Dorf hin, ein kleiner Hain mit...
Das Grundstück
Details
Objektbeschreibung
Die Hunsrückgemeinde Deuselbach ist ein idyllisch gelegener, vor allem aber ruhiger Wohnort, der zur Verbandsgemeinde Thalfang im Landkreis Bernkastel Wittlich gehört.
Der Ort liegt auf der nördlichen Seite des Erbeskopf, dem mit 816 Meter höchsten Berg von Rheinland Pfalz und unmittelbar am "Tor zum Nationalpark...
Weitere Informationen
Sonstiges
Von Schlapp Immobilien - Denn wir vermitteln Ihnen Zufriedenheit
Nutzen Sie die Kontaktmöglichkeit über dieses Exposé und vereinbaren unverbindlich einen Besichtigungstermin. Ich werde mich umgehend mit Ihnen zwecks Terminabstimmung in Verbindung setzen.
Ihr Ansprechpartner für dieses...
Anbieter der Immobilie
von Schlapp Immobilien - Nadia Schlapp
Schimmelhof 1, 54338 Schweich

Online-ID: 2lxgn5e
Referenznummer: HS000392
Finde Angebote wie dieses
Hier geht es zu unserem Impressum, den Allgemeinen Geschäftsbedingungen, den Hinweisen zum Datenschutz und nutzungsbasierter Online-Werbung.