

Heimat Österreich gemeinnützige Wohnungs- u. Siedlungsges. mbH
Frau Lisa Zimeler
+43 ···
Nr. anzeigenPreise & Kosten
Provision für Mieter
Provisionsfrei
Warum sehe ich diese Anzeige? – Du siehst diese Anzeige basierend auf Ihrer Navigation auf unserer Website und den Suchkriterien, die du verwendet hast.
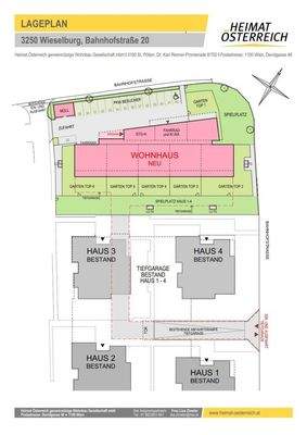
Lage
Unsere Liegenschaft befindet sich in unmittelbarer Nähe zum Bahnhof. Das Stadtzentrum ist in wenigen Gehminuten erreichbar.
Die Wohnung
Wohnungslage
2. Geschoss
Bezug
sofort
Wohnanlage
Energie & Heizung
Warum sehe ich diese Anzeige? – Du siehst diese Anzeige basierend auf Ihrer Navigation auf unserer Website und den Suchkriterien, die du verwendet hast.
Heizwärmebedarf (HWB)
14,40 kWh/(m²·a)
Gesamtenergieeffizienz (fGEE)
0,53
Weitere Energiedaten
Energieträger
Solar
Heizungsart
Fußbodenheizung
Details
Objektbeschreibung
Das erste Monat gratis wohnen!
In der Stadtgemeinde Wieselburg, Bahnhofstraße 20, befinden sich unsere 27 geförderte Mietwohnungen mit Kaufoption in den Größen von ca. 58m² bis ca. 84m² (2-4 Zimmer).
Jede Wohnung verfügt über eine Freifläche wie Garten und/oder Terrasse bzw. Balkon. Zudem ist jeder Einheit ein...
Preisinformation
1 Stellplatz
Weitere Informationen
Stichworte
Ergänzendes dezentrales Warmwasser, Tiefgarage vorhanden, Süd-Balkon/Terrasse, Fahrradraum, Anzahl der Badezimmer: 1, Anzahl der separaten WCs: 1, Anzahl Balkone: 1, Balkon-Terrassen-Fläche: 19,67 m², Kellerfläche: 7,22 m², Bundesland: Niederösterreich
Anbieter der Immobilie
Heimat Österreich gemeinnützige Wohnungs- u. Siedlungsges. mbH
Plainstr. 55, 5020 Salzburg

Online-ID: 2lxpl5l
Referenznummer: OBGC20250923092550764f118ba0c2a
Finde Angebote wie dieses
Hier geht es zu unserem Impressum, den Allgemeinen Geschäftsbedingungen, den Hinweisen zum Datenschutz und nutzungsbasierter Online-Werbung.