
VON POLL IMMOBILIEN Berlin - Pankow - Ulf Sobeck
VON POLL IMMOBILIEN Shop Berlin-Pankow
004 ···
Nr. anzeigenPreise & Kosten
Provision für Käufer
Käuferprovision beträgt 7,14 % (inkl. MwSt.) des beurkundeten Kaufpreises
Lage
Berlin-Buch wird auch "die Gesundheitsstadt" genannt. Rund ein Drittel des Pankower Ortsteils besteht aus Geländen von Kliniken, Pflegeeinrichtungen, Forschungsinstituten sowie Unternehmen der Biotechnologie und Medizintechnik. Der große Biotech-Park auf dem Campus Berlin-Buch genießt international großes Ansehen als...
Das Grundstück
Details
Objektbeschreibung
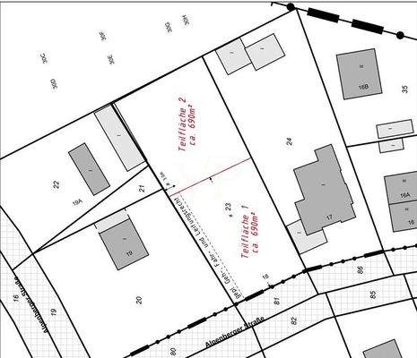
Das von uns angebotene, bauträgerfreie Grundstück mit einer Fläche von ca. 690 m² befindet sich im Stadtteil Berlin-Buch in unmittelbarer Nähe zum Helios-Klinikum.
Es handelt sich um ein noch zu vermessendes, hinteres Teilstück eines ca. 1508 m² großen Grundstücks in ruhiger Stadtrandlage, das nahezu plan zum Straßenraum...
Ausstattung
Teilfläche2: noch zu vermessende Teilfläche aus dem Flurstück 23
- ca. 690 m² Gartenland
- teils massiv und in Holzständerbauweise errichteter, abrissreifer Schuppen (10,00m x 5,00m)
- Flachbau im Rohbauzustand (ca. 4,00m x 10,00m)
- Erschließung ist über vorderes Teilgrundstück...
Weitere Informationen
Sonstiges
GELDWÄSCHE: Als Immobilienmaklerunternehmen ist die von Poll Immobilien GmbH nach § 2 Abs. 1 Nr. 14 und § 11 Abs. 1, 2 Geldwäschegesetz (GwG) dazu verpflichtet, bei der Begründung einer Geschäftsbeziehung die Identität des Vertragspartners festzustellen und zu überprüfen, bzw. sobald ein ernsthaftes Interesse an...
Anbieter der Immobilie
VON POLL IMMOBILIEN Berlin - Pankow - Ulf Sobeck
Florastraße 1, 13187 Berlin
Online-ID: 2m69a59
Referenznummer: 25 071 015 T2
Finde Angebote wie dieses
Hier geht es zu unserem Impressum, den Allgemeinen Geschäftsbedingungen, den Hinweisen zum Datenschutz und nutzungsbasierter Online-Werbung.