6 Zimmer • 199 m² • 2.600 m² Grundstück • frei ab sofort
1 / 17
1 / 17
Einfamilienhaus zum Kauf
120000 €120.000 €
603 €/m²
6 Zimmer • 199 m² • 2.600 m² Grundstück • frei ab sofort
Einfamilienhaus mit Scheune in Seetz
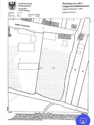
Das Grundstück mit Haus und Scheune ist ca, 750 m² groß und in Nord-Süd Richtung ausgerichtet.
Das Garten- und Wiesengrundstück mit ca, 1900 m² liegt in gleicher Ausrichtung hinter der Scheune und ist von der Anliegerstraße über die gesamte Länge erreichbar.
Vor einigen Jahren ist das Wohnhaus mit roten Klinkern verkleidet, das Dach neu gedeckt, mit großen Schiefergauben ausgebaut und mit neuen weißen Holzfenstern sehr geschmackvoll erneuert worden. Im ca. 150 m² Wohnhaus sind im lichtdurchfluteten Obergeschoss 2,5 Zimmer, ein Bad und eine kleine Küche. Im Erdgeschoss befinden sich der Flur das Treppenhaus, 3 Zimmer, 1 Bad und eine Küche im Anbau. Von der Küche gelangt man durch einen Hintereingang direkt in den Garten.
Die Wände im Erdgeschoss sind mit Lehm verputzt und geben den Räumen ein ganz besonderes Raumklima. Die Holzdielenböden sind gut erhalten, da sie mit PVC-Belägen geschützt waren. Geheizt wurde mit Kachelöfen. Das Dachgeschoss wurde im Trockenbau mit Laminatböden ausgebaut und wurde durch Nachtspeicheröfen beheizt.
Viele Details geben dem Haus einen besonderen Charme. Die hellen Räume durch viele Fenster, Intarsien in der Flurdecke, Doppelflügeltür im OG, Speisekammer unter der Treppe, Einbauküchenzeile in der Dachschräge im OG, Holztreppe ins OG und grüne Fensterläden an den Fenstern im EG.
Die Wohnung im Erdgeschoss wurde vermietet und im Obergeschoss vom Eigentümer als Ferienwohnung genutzt. Seit mehreren Jahren ist das Haus unbewohnt und in einem kalten Winter kam es zu einem Frostschaden im Bad im Obergeschoss. Dieser wurde von einer Fachfirma behoben und ist inzwischen abgetrocknet. Die Entwässerung erfolgt über eine ortstypische dezentrale Abwassergrube. Das Wohnhaus ist teilunterkellert
Merkmale
frei ab sofort
2.600 m² Grundstück
Keller
Außen-Stellplatz
Garten
DSL-Anschluss
Fernblick
Grundrisse
Grundrisse
1 / 1
Realisiere Dein Projekt
Bausubstanz und Energie
Energieausweis
Ein Energieausweis ist für diesen Gebäudetyp nicht notwendig.
Baujahr1928
HeizungsartOfen
EnergieträgerKohle, Elektro, Holz
Preisdetails
Kaufpreis
120000 €120.000 €
603,02 €/m²
Provision für Käufer
3,57
Geschätzte Gesamtkosten
134.484 €1
Kaufpreis
120.000 €
Kaufnebenkosten
14.484 €
2
Notarkosten (1,5%)
1.800 €
Grunderwerbsteuer (6,5%)
7.800 €
Provision für Käufer (3,57%)
4.284 €
Grundbucheintrag (0,5%)
600 €
1Der angezeigte Wert ist eine automatisch berechnete Schätzung von immowelt.
2Bei den Angaben handelt es sich um ortsübliche Werte. Individuelle Kosten können abweichen.
Lage
Seetzer Lindenallee 32, Seetz, Karstädt (19357)
Seetz ist ein Ortsteil der Gemeinde Karstädt und liegt in Brandenburg ´ganz oben´ in der Prignitz.
Es ist ein kleines Dorf in landwirtschaftlich geprägter Region zwischen Mecklenburg und Niedersachsen unweit der A14 und der B5 direkt zwischen Hamburg und Berlin.
Am Ortsrand in einer Anliegerstraße mit einem herrlichen Blick über Wiesen und Felder befindet sich diese entzückende kleine Hofstelle. Eine Birke, Flieder und Rhododendron bringen im Frühjahr Farbtupfer auf das Grundstück. Hinter der Scheune ist ein Unterstand im Dornröschenschlaf unter einer Brombeerhecke und möchte aufgeweckt werden. Auf dem angrenzenden Wiesengrundstück grasen 3 Pferde vom Nachbarn.
Weitere Informationen
Sonstiges
Weitere Gebäude
Die Scheune ist hell verputz, hat mehrere Räume und eine Zwischendecke
Besichtigungstermine
nach Vereinbahrung
Stichworte
Zustand: renovierungsbedürftig, sanierungsbedürftig
Versorgung: Städtische Wasserversorgung, Städtische Stromversorgung
Heizmethode:
Individuell