
ohne-makler.net - Immobilien selbst vermarkten
Angebot von k2s Projektentwicklungs GmbH
Kontaktiere den Anbieter schriftlich, es ist keine Telefonnummer hinterlegt.
Preise & Kosten
Provision für Käufer
provisionsfrei
Lage
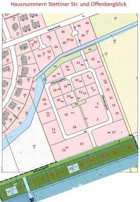
Das Neubaugebiet Offenbergblick befindet sich in zentrumsnaher und dennoch naturnaher Lage im wunderschönen Süden von Hofgeismar, nahe der Albert-Schweitzer-Schule!
Vielfältige Einkaufs-, Dienstleistungs-, Freizeit- und Gastronomieangebote befinden sich in der Nähe, ebenso ein hervorragend ausgestatteter Bau- und...
Das Grundstück
Details
Objektbeschreibung
Die angebotenen Grundstücke mit Größen von 481m² bis 751m² befinden sich im WA1 des Neubaugebietes Offenbergblick, B-Plan 67, Sudheimer Feld Ost in 34369 Hofgeismar, Kernstadt.
GRZ: 0,4
GFZ: 0,8
Gebäudehöhe: max. 9,0m gesamt
2 Vollgeschosse plus Dachgeschoss
offene Bauweise
Der Grundstücksverkauf wird...
Weitere Informationen
Sonstiges
ohne-makler (OM) ist weder Anbieter noch Vermittler der Immobilie. OM betreibt eine Plattform für Immobilieneigentümer, die unter anderem die gleichzeitige Veröffentlichung einzelner Inserate auf mehreren Immobilienportalen ermöglicht. Die Inhalte dieser Inserate werden ausschließlich von Dritten verantwortet...
Dokumente
Anbieter der Immobilie
ohne-makler.net - Immobilien selbst vermarkten
Humboldtstr. 25 A, 21509 Glinde
Angebot von k2s Projektentwicklungs GmbH
Dein Ansprechpartner
Kontaktiere den Anbieter schriftlich, es ist keine Telefonnummer hinterlegt.
Online-ID: 2mczz53
Referenznummer: 304336
Finde Angebote wie dieses
Hier geht es zu unserem Impressum, den Allgemeinen Geschäftsbedingungen, den Hinweisen zum Datenschutz und nutzungsbasierter Online-Werbung.