

DR.HOSP ARTS GMBH - Immobilien verkaufen heisst achtsam zu sein!
Herr Rüdiger Hosp, Dr.
+49 ···
Nr. anzeigenPreise & Kosten
Provision für Käufer
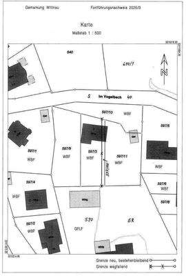
4,76% inkl. MwSt. -- für selten schönes Baugrundstück fertig projektiert für freistehendes EFH in luxuriöser Freiburger Ortsrandlage am Landschaftsschutzgebiet mit himmlischem Blick über das Hexental nach Freiburg. sh.auch: www.DRHOSP.com/128
Das Haus
Kategorie
Einfamilienhaus
Geschosse
3 Geschosse
Baujahr
2026
Bezug
2026
Details
Weitere Informationen
Atemberaubendes Grundstück
Gleich nach dem Grundstück kommt der Himmel...
mit Planung für ein Holzhaus mit 164qm WoFl +35qm Nfl
mit Parkeen im Sockelgeschoss
Letztes
enorm schönes Grundstück in traumhafter
Ortsrandlage mit privater Auffahrt mit Blick in alle
Himmelsrichtungen, nicht weit weg vom...
Dokumente
Online-ID: 2mg7h5w
Finde Angebote wie dieses
Hier geht es zu unserem Impressum, den Allgemeinen Geschäftsbedingungen, den Hinweisen zum Datenschutz und nutzungsbasierter Online-Werbung.