

Lts-immobilien Gmbh
Herr Toni Lodato
062 ···
Nr. anzeigenPreise & Kosten
Provision für Käufer
3,57
Lage
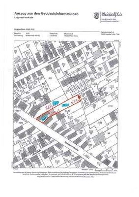
Baugrund für Ein- / Zweifamilienhäuser in einem ruhigen Stadtteil von Mutterstadt gelegen. Der Stadtteil zeichnet sich durch eine harmonische Mischung aus Wohn- und Gewerbegebieten aus. Einkaufsmöglichkeiten, Schulen und Kindergärten sind fußläufig erreichbar, während die Natur in Form von Parks und Grünflächen zur Erholung...
Die Immobilie
Zu diesem Angebot wurden vom Anbieter keine weiteren Daten hinterlegt. Für weitere Informationen bitte den Anbieter kontaktieren.
Nach Informationen fragenDetails
Objektbeschreibung
Das zum Verkauf stehende Grundstück bietet eine Grundstücksfläche von 878 m² und eignet sich ideal für den Bau von Ein- oder Zweifamilienhäusern. Die Immobilie liegt in einer ruhigen und grünen Umgebung, die perfekt für Familien geeignet ist. Auf dem Grundstück befindet sich bereits eine solide Grundlage für den Bau eines...
Anbieter der Immobilie

Online-ID: 2mgh35n
Referenznummer: 146
Finde Angebote wie dieses
Hier geht es zu unserem Impressum, den Allgemeinen Geschäftsbedingungen, den Hinweisen zum Datenschutz und nutzungsbasierter Online-Werbung.