

Sparkasse Hildesheim Goslar Peine
Frau Sonja Höppner
051 ···
Nr. anzeigenPreise & Kosten
Provision für Käufer
3,57 % inkl. MwSt.
Lage
Das Baugebiet liegt am westlichen Rand von Gronau (Leine) und profitiert von einer hervorragenden Verkehrsanbindung. Über die Bundesstraße B3 sowie die nahegelegene Autobahn A7 sind die Städte Hildesheim, Hannover und Göttingen schnell erreichbar. Auch der Bahnhof Gronau (Leine) sorgt für eine optimale Anbindung an das...
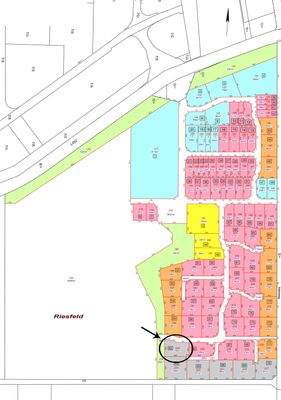
Das Grundstück
Details
Objektbeschreibung
Kurzbeschreibung
Willkommen in Gronau-West!
Objekt
Willkommen in Gronau-West, einem modernen und naturnah gelegenen Wohngebiet im schönen Gronau an der Leine. Dieses attraktive Neubaugebiet bietet Ihnen die perfekte Gelegenheit, sich den "Traum vom Eigenheim" zu erfüllen. Egal ob als Familie, Paar oder Investor...
Weitere Informationen
Sonstiges
Fragen auf Ihre Antworten zum kalten Nahwärmenetz finden Sie auf der Homepage www.uewl.de/morgenwaerme/ oder Sie kontaktieren die Experten per Telefon unter 05182 588678 oder per Email unter morgenwaerme@uewl.de
VERBRAUCHERINFO
1. Maklerleistung ist der Nachweis der Gelegenheit zum Abschluss eines...
Dokumente
Anbieter der Immobilie

Online-ID: 2mj2z5a
Referenznummer: H-31028-62
Finde Angebote wie dieses
Hier geht es zu unserem Impressum, den Allgemeinen Geschäftsbedingungen, den Hinweisen zum Datenschutz und nutzungsbasierter Online-Werbung.