

Deutsche Grundstücksauktionen AG
Frau Doreen Haak
030 ···
Nr. anzeigenPreise & Kosten
Provision für Käufer
*zzgl. Auktions-Aufgeld auf den Zuschlagspreis.
Lage
Treptow-Köpenick ist der grünste, wasserreichste und auch flächengrößte Bezirk Berlins. Der Ortsteil Grünau bietet dank seiner Nähe zum Stadtforst und seiner idyllischen Lage am Ufer der Dahme viele Erholungs- und Freizeitmöglichkeiten. Das Grundstück liegt in einer der begehrtesten Wohnlagen des Berliner Südostens. Der...
Die Immobilie
Zu diesem Angebot wurden vom Anbieter keine weiteren Daten hinterlegt. Für weitere Informationen bitte den Anbieter kontaktieren.
Nach Informationen fragenDetails
Objektbeschreibung
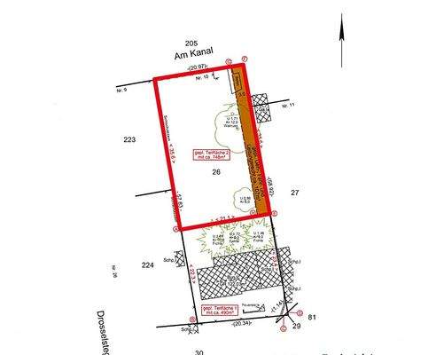
Seltenes Baugrundstück mit Wasserblick in ruhiger Wohnlage, wenige Meter vom Teltowkanal entfernt. Es handelt sich um eine bereits vermessene Teilfläche mit einer Straßenfront von rd. 21 m und einer durchschnittlichen Grundstückstiefe von rd. 35 m. Derzeit ist das Grundstück vereinzelt mit Bäumen
und Büschen bestanden, der...
Weitere Informationen
Weitere Informationen
Informationen zur Auktion
Mindestgebot (Auktionslimit) € 329.000,–*
*zzgl. Auktions-Aufgeld auf den Zuschlagspreis.
Das vom Ersteher an das Auktionshaus zu zahlende Aufgeld ist der Höhe nach gestaffelt und beträgt inklusive gesetzlicher Mehrwertsteuer:
• bei einem...
Dokumente
Anbieter der Immobilie

Online-ID: 2mpbd5b
Referenznummer: D25-04-008
Finde Angebote wie dieses
Hier geht es zu unserem Impressum, den Allgemeinen Geschäftsbedingungen, den Hinweisen zum Datenschutz und nutzungsbasierter Online-Werbung.