

Freizeitgastronomie zum Kauf495000 €358 m² Gastrofläche
495000 €
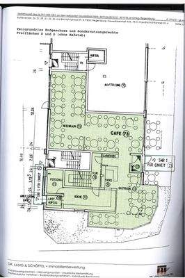
358 m² Gastrofläche
Etabliertes Lokal in Regensburg
Merkmale
- vermietet
- 4 Tiefgaragenstellplätze
- möbliert
Grundrisse
Grundrisse
1 / 4
Realisiere Dein Projekt
Bausubstanz und Energie
Energieausweis
- Baujahr1998
- Zustand der ImmobilieGepflegt
- HeizungsartZentralheizung
- EnergieträgerGas
Preisdetails
Kaufpreis
495000 €
Provision für Käufer
3,57 %
Tel: Herr Weber 0151/14919223
Geschätzte Gesamtkosten
512.672 €1
Kaufpreis
495.000 €
Kaufnebenkosten
17.672 €
2Provision für Käufer (3,57%)
17.672 €
1Der angezeigte Wert ist eine automatisch berechnete Schätzung von immowelt.
2Bei den Angaben handelt es sich um ortsübliche Werte. Individuelle Kosten können abweichen.
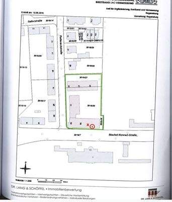
Lage

Galgenberg, Regensburg (93053)
Der Anbieter hat die genaue Adresse nicht freigegeben
Weitere Services
Lust auf eine Besichtigung?
Eine Frage zur Immobilie?
Über den Anbieter
Immobilien Ralph WeberMaklerbüro
Am Riedelfeld 18, 93471 Arnbruck
Partnerschaft
Ralph WeberDein Kontakt
Keine Telefonnummer hinterlegt
Keine Telefonnummer hinterlegt
Online-ID: 2mq5t54
Immobilien Ralph Weber
Wie zufrieden bist du mit dieser Seite (nicht mit der Immobilie selbst)?

