

Vilgertshofer Home GmbH
Firma Immobilienabteilung VILGERTSHOFER Home GmbH
+49 ···
Nr. anzeigenPreise & Kosten
Provision für Käufer
Bitte beachte, das Angebot kann bei Vertragsabschluss die Zahlung einer Provision beinhalten. Weitere Informationen erhältst Du vom Anbieter.
Lage
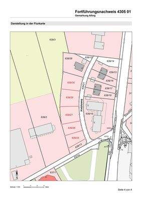
Die Grundstücke bzw. das Grundstück befindet sich in herrlicher Lage in 82239 Alling, Kiebitzweg (ruhige Anwohnerstraße, momentan Sackgasse). Die Grundstücke sind perfekt nach Westen und Süden hin ausgerichtet. In westlicher Richtung ist die Umgebung überwiegend durch Grünflächen und Landwirtschaft geprägt. Östlich der...
Das Grundstück
Details
Objektbeschreibung
Bei der hier angebotenen Bauparzelle (im Plan beschriftet mit Nr. 30) handelt es sich um ein Grundstück für eine Doppelhaushälfte am südlichen "Kiebitzweg" in Alling mit einer Grundstücksgröße von 450 m². Das Grundstück mit der Flurstücksnummer 639/25 ist bereits auf Kosten des Verkäufers amtlich vermessen und geteilt worden...
Ausstattung
u-pdate (12/2025):
Der Bebauungsplan ist nun rechtskräftig (amtliche Bekanntmachung vom 02.12.2025). Die Parzellen sind amtlich vermessen.
Link zur Bekanntmachung...
Weitere Informationen
Stichworte
GRZ: 0,44, Flurstück: 639/25, Gemarkung: Alling
Anbieter der Immobilie
Vilgertshofer Home GmbH
Am Hartholz 1, 82239 Alling

Online-ID: 2mq8t5z
Referenznummer: Alling Grd. DHH_30
Finde Angebote wie dieses
Hier geht es zu unserem Impressum, den Allgemeinen Geschäftsbedingungen, den Hinweisen zum Datenschutz und nutzungsbasierter Online-Werbung.