

Bauteam GmbH
Herr Roman Bürger
0 3 ···
Nr. anzeigenPreise & Kosten
Provision für Käufer
provisionsfrei
Lage
Velgast ist eine Gemeinde westlich von Stralsund im Landkreis Vorpommern-Rügen. Sie wird vom Amt Franzburg-Richtenberg mit Sitz in der Stadt Franzburg verwaltet und ist die flächen- und bevölkerungsmäßig größte Gemeinde im Amt.
Velgast liegt unweit der Bundesstraße 105 zwischen Ribnitz und Stralsund. Seit Über 100 Jahren...
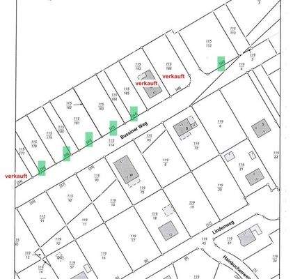
Das Grundstück
Details
Objektbeschreibung
+++Top Baugrundstücke in sehr ruhiger Randlage und Ostseenähe zu erschwinglichen Preisen+++
Nutzen Sie die Chance und verwirklichen Sie Ihren Traum vom eigenen Haus auf diesem ruhig und idyllisch in Feldrandlage gelegenen Baugrundstück. Es befindet sich in Velgast, im neu entwickelten B-Plan Nr. 2. Die Umgebung ist...
Weitere Informationen
Sonstiges
Änderungen des Preises sowie Irrtümer oder Zwischenverkauf sind vorbehalten.
Es gilt die jeweilige Baubeschreibung und Preisliste der Firma BAUTEAM GmbH Stralsund. Für Angaben von Dritten und/oder Behörden kann keine Gewähr übernommen werden.
Homepage:...
Anbieter der Immobilie
Bauteam GmbH
Bauhofstraße 1 E, 18439 Stralsund

Online-ID: 2mrez5s
Referenznummer: NR36EFH VE
Finde Angebote wie dieses
Hier geht es zu unserem Impressum, den Allgemeinen Geschäftsbedingungen, den Hinweisen zum Datenschutz und nutzungsbasierter Online-Werbung.