

Vilgertshofer Home GmbH
Firma Immobilienabteilung VILGERTSHOFER Home GmbH
+49 ···
Nr. anzeigenPreise & Kosten
Provision für Käufer
Bitte beachte, das Angebot kann bei Vertragsabschluss die Zahlung einer Provision beinhalten. Weitere Informationen erhältst Du vom Anbieter.
Lage
Die Grundstücke bzw. das Grundstück befindet sich in herrlicher Lage in 82239 Alling, Kiebitzweg (ruhige Anwohnerstraße, momentan Sackgasse). Die Grundstücke sind perfekt nach Westen und Süden hin ausgerichtet. In westlicher Richtung ist die Umgebung überwiegend durch Grünflächen und Landwirtschaft geprägt. Östlich der...
Das Grundstück
Details
Objektbeschreibung
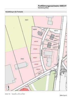
Bei der hier angebotenen Bauparzelle (im Plan beschriftet mit Nr. 28) handelt es sich um ein Einzelhaus-Grundstück am südlichen "Kiebitzweg" in Alling mit einer Grundstücksgröße von 680 m². Das Grundstück (FlSt. 639/27) ist bereits amtlich vermessen und geteilt (auf Kosten des Verkäufers). Der Bebauungsplan(*) ist seit...
Ausstattung
u-pdate (12/2025):
Der Bebauungsplan ist nun rechtskräftig (amtliche Bekanntmachung vom 02.12.2025). Die Parzellen sind amtlich vermessen.
Link zur Bekanntmachung...
Weitere Informationen
Stichworte
GRZ: 0,44, Flurstück: 639/27, Gemarkung: Alling
Anbieter der Immobilie
Vilgertshofer Home GmbH
Am Hartholz 1, 82239 Alling

Online-ID: 2mt3t5z
Referenznummer: Alling Grd. EFH_28
Finde Angebote wie dieses
Hier geht es zu unserem Impressum, den Allgemeinen Geschäftsbedingungen, den Hinweisen zum Datenschutz und nutzungsbasierter Online-Werbung.