

Falter, Ihre Immobilienberater GmbH
Herr Sören Kunz
072 ···
Nr. anzeigenPreise & Kosten
Provision für Käufer
4,76% inkl. MwSt.
Lage
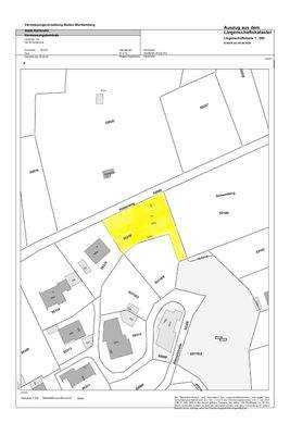
Das Grundstück befindet sich in einem begehrten und ruhigen Stadtteil von Karlsruhe, Durlach. Diese Lage zeichnet sich durch ihre angenehme Mischung aus historischer Atmosphäre und moderner Infrastruktur aus. Durlach ist bekannt für seine charmanten Fachwerkhäuser, gemütlichen Cafés und eine lebendige Gemeinschaft, die das...
Das Grundstück
Details
Objektbeschreibung
Naturnahes Leben in begehrter Wohnlage von Karlsruhe-Durlach!
Das Grundstück bietet auf insgesamt 1389 Quadratmetern zwei Baugrundstücke für jeweils ein Ein- bzw. Zweifamilienhaus. Es bietet somit ausreichend Platz für individuelle Bebauungsmöglichkeiten und vielfältige Gestaltungsideen.
Das obere Grundstück am...
Weitere Informationen
Sonstiges
Da das Haus einsturzgefährdet ist ist eine Begehung nur gemeinsam mit einem Architekten / bzw. Statiker, und auch nur auf eigene Gefahr, möglich.
Anbieter der Immobilie
Falter, Ihre Immobilienberater GmbH
Am Retzberg 48, 76275 Ettlingen

Online-ID: 2mt865h
Referenznummer: 5270#VDueHq
Finde Angebote wie dieses
Hier geht es zu unserem Impressum, den Allgemeinen Geschäftsbedingungen, den Hinweisen zum Datenschutz und nutzungsbasierter Online-Werbung.