
Immobilien Zippold GmbH
Frau Lenka Henseler
004 ···
Nr. anzeigenPreise & Kosten
Provision für Käufer
Bitte beachte, das Angebot kann bei Vertragsabschluss die Zahlung einer Provision beinhalten. Weitere Informationen erhältst Du vom Anbieter.
Lage
Die Immobilie befindet sich in begerter, ruhiger Wohnlage in Eppstein-Vockenhausen. Der Stadtteil Vockenhausen grenzt unmittelbar an die historische Altstadt der Burgstadt Eppstein an. Die s-Bahnlinie (S2) sowie die Buslinien 805 + 815 verkehren in fußläufiger Entfernung.
Des weiteren gibt es mehrere Restaurants, Cafes...
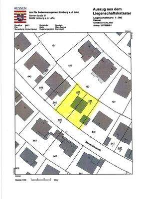
Das Grundstück
Details
Objektbeschreibung
Zum Verkauf (von privat) steht ein traumhaftes und perfekt geschnittenes Baugrundstück in bester Lage von Eppstein - Vockenhausen. 65817 Eppstein, Am Holderbusch 9.
Das Grundstück bietet eine großzügige Fläche von ca. 571 m² mit perfekter Südwest-Ausrichtung und befindet sich in einer ruhigen Sackgasse. Die leichte...
Weitere Informationen
Sonstiges
Es liegt ein Energiebedarfsausweis vor.
Dieser ist gültig bis 29.7.2035.
Endenergiebedarf beträgt 182.19 kwh/(m²*a).
Wesentlicher Energieträger der Heizung ist Öl.
Das Baujahr des Objekts lt. Energieausweis ist 1975.
Die Energieeffizienzklasse ist F.
Das voll erschlossene Baugrundstück (mit...
Anbieter der Immobilie
Online-ID: 2mtaf56
Referenznummer: 48098LH
Finde Angebote wie dieses
Hier geht es zu unserem Impressum, den Allgemeinen Geschäftsbedingungen, den Hinweisen zum Datenschutz und nutzungsbasierter Online-Werbung.