
Neumann ImmoConsult GmbH
004 ···
Nr. anzeigenPreise & Kosten
Provision für Käufer
3,00 % zzgl. 19 % MwSt.
Lage
Bretten mit seinen rund 28.000 Einwohnern ist ein aufstrebendes Mittelzentrum zwischen den Oberzentren Karlsruhe, Pforzheim, Stuttgart und Heilbronn. Es bestehen ideale Verkehrsverbindungen zu den Autobahnen A5, A8 und A6 (maximal 25 km).
Durch die Stadtbahnlinien von Karlsruhe, Heilbronn und Bruchsal ist Bretten...
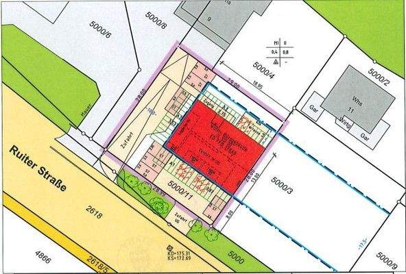
Das Grundstück
Details
Objektbeschreibung
Zum Verkauf steht ein Baugrundstück mit einer Baugenehmigung zur Errichtung eines Mehrfamilienhauses mit 3 Wohnungen und einer Gewerbeeinheit.
Das Baugrundstück hat eine Fläche von ca. 814 m².
Die Bebauung ist bereits vorgeplant:
- EG: Gewerbeeinheit
- OG: 2 Wohnungen
- DG: 1 Wohnung...
Ausstattung
3 Wohnungen:
- OG 2 Wohnungen mit jeweils 86m²
- DG 1 Wohnung mit 104m²
Bürofläche im EG 178m²
11 Stellplätze insgesamt (8 TG, 3 Außenstellplätze)
Weitere Informationen
Sonstiges
Bei weiterem Interesse laden wir Sie gerne zu einer persönlichen Besichtigung vor Ort ein. Bitte legen Sie uns dazu eine aktuelle (vorläufige) Finanzierungsbestätigung Ihrer Bank oder einen Kapitalnachweis vor.
Diese Immobilie befindet sich im exklusiven Alleinauftrag von Neumann ImmoConsult GmbH/Neumann...
Anbieter der Immobilie
Online-ID: 2muet52
Referenznummer: 700
Finde Angebote wie dieses
Hier geht es zu unserem Impressum, den Allgemeinen Geschäftsbedingungen, den Hinweisen zum Datenschutz und nutzungsbasierter Online-Werbung.