Immobilien Mitzam GbR

Herr Claudius Mitzam

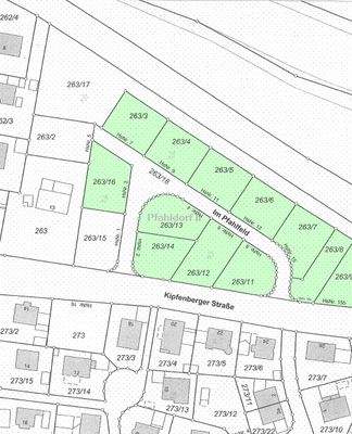
Neubaugebiet mit 14 Bauplätzen für EFH oder DH Bebauung in Ortsrandlage von Kipfenberg/Pfahldorf

auf Anfrage
Kaufpreis
k.A.
Grundstücksfl.

Der Anbieter dieses Objekts hat gegenüber der AVIV Germany GmbH als Betreiber dieses Online-Marktplatzes erklärt, nicht als Unternehmer im Sinne des § 1 KSchG zu handeln. Die im Verbraucherschutzrecht der Union verankerten Verbraucherrechte (insbesondere Informationspflichten und Rücktritts- bzw. Widerrufsrechte) finden auf den Vertrag zwischen dem Anbieter des Objekts und Ihnen (dem Interessenten) keine Anwendung.

Provisionsfrei
Gewerblicher Anbieter

Der Anbieter dieses Objekts hat gegenüber der AVIV Germany GmbH als Betreiber dieses Online-Marktplatzes erklärt, als Unternehmer im Sinne des § 1 KSchG zu handeln.

AdresseKipfenberger Str. 17
85110 Kipfenberg 
(Pfahldorf)
Auf Karte ansehen

Preise & Kosten

Kaufpreis auf Anfrage

Provision für Käufer

provisionsfrei

Lage

1A-Lage

Das Neubaugebiet befindet sich in sonniger und verkehrsgünstiger Ortsrandlage von Pfahldorf

Die Immobilie

info

Zu diesem Angebot wurden vom Anbieter keine weiteren Daten hinterlegt. Für weitere Informationen bitte den Anbieter kontaktieren.

Nach Informationen fragen

Details

Objektbeschreibung

Fakten:
- Provisionsfrei für den Käufer.
- Ein Bebauungsplan liegt vor!
- Allgemeines Wohngebiet (WA).
- Grundstücksgrößen von 410 qm bis 655 qm (erschlossen).
- Kaufpreise ab 120.950,-- EUR bis 193.225,-- EUR
- Bebaubar mit Einfamilien- oder Doppelhäusern.
- GRZ 0,4
- GFZ 0,7
- Es besteht eine...

Mehr anzeigen

Weitere Informationen

Standort
Pfahldorf:
Ein Ortsteil der Gemeinde Kipfenberg (5 km) im bayerischen Landkreis Eichstätt (15 km), der in der Nähe von Ingolstadt (27 km) und im Naturpark Altmühltal liegt. Die Einwohnerzahl beträgt ca. 450.

Der staatlich anerkannte Erholungsort Kipfenberg (5992 Einwohner) liegt am geographischen...

Mehr anzeigen

Anbieter der Immobilie

Partner

Immobilien Mitzam GbR

im Durchschnitt  4,70  Sterne
(bei 60 Bewertungen)

Ingolstädter Str. 18, 92339 Beilngries

user

Herr Claudius Mitzam

Dein Ansprechpartner

Anbieter-Website Anbieter-Profil Anbieter-Impressum

Online-ID: 2mug555

Referenznummer: 0001584

Finde Angebote wie dieses

imageimageimage

Hier geht es zu unserem Impressum, den Allgemeinen Geschäftsbedingungen, den Hinweisen zum Datenschutz und nutzungsbasierter Online-Werbung.