
Grüne & Co. RDM Immobilienmakler seit 1939
Herr/Frau Alexandra Reintjes
028 ···
Nr. anzeigenPreise & Kosten
Provision für Käufer
4 % des Kaufpreises zzgl. 19 % MwSt.
Lage
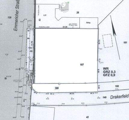
Das Grundstück befindet sich an der Emmericher Straße 85 im Duisburger Stadtteil Meiderich-Beeck, im nördlichen Stadtgebiet von Duisburg. Die Lage zeichnet sich durch eine sehr gute Anbindung an den regionalen und überregionalen Verkehr aus. Über die nahegelegene A59 sowie die A42 sind sowohl das Duisburger Stadtzentrum als...
Das Grundstück
Details
Objektbeschreibung
Bei diesem Grundstück handelt es sich um ein noch bebautes Grundstück in Duisburg Meiderich auf der Emmericher Straße 85. Es verfügt über eine Gesamtfläche von 604 m².
Folgende Flurstücke sind dem angebotenen Grundstück zugeordnet:
Gemarkung: Meiderich
Flur: 70
Flurstück: 187 mit 519 m²
Flurstück: 189...
Weitere Informationen
Sonstiges
Alle in diesem Angebot enthaltenen Angaben, insbesondere Flächenangaben und Ertragszahlen beruhen auf Angaben des Eigentümers oder von Dritten. Eine Haftung aus Exposé Angaben ist grundsätzlich und gänzlich dem Makler gegenüber ausgeschlossen. Im Übrigen gelten unsere allgemeinen Geschäftsbedingungen.
Bei...
Anbieter der Immobilie

Grüne & Co. RDM Immobilienmakler seit 1939
Uerdinger Str. 61, 47441 Moers
Online-ID: 2mxql5g
Referenznummer: 2152-2025
Finde Angebote wie dieses
Hier geht es zu unserem Impressum, den Allgemeinen Geschäftsbedingungen, den Hinweisen zum Datenschutz und nutzungsbasierter Online-Werbung.