
Grossmann & Berger GmbH
Frau Jacqueline Huwald
004 ···
Nr. anzeigenPreise & Kosten
Provision für Käufer
6,25 % inkl. MwSt. inkl. MwSt.
Lage
Buchholz in der Nordheide ist mit seinen rund 40.000 Einwohnern die größte Stadt und nach Seevetal die zweitgrößte Gemeinde des Landkreises Harburg. Sie befindet sich etwa 20 km südlich von Hamburg, etwa 120 km nördlich von Hannover und etwa 80 km nordöstlich von Bremen. Die Stadt Buchholz verfügt über alle gängigen...
Das Grundstück
Details
Objektbeschreibung
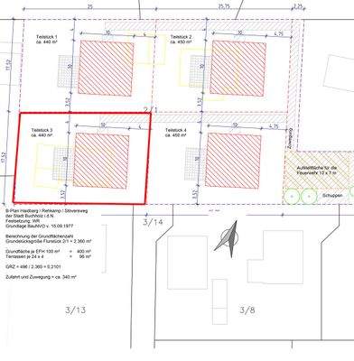
Das ca. 585 m² große Grundstück verfügt über eine geteilte Zufahrt und einen rechteckigen Zuschnitt und bietet spannende Bebauungsmöglichkeiten. Grundsätzlich können Sie nach §34 BauGB planen, eine Baubindung besteht nicht. In der Nachbarschaft sind in jüngster Zeit verschiedene, ansprechende Neubauten entstanden. Eine...
Weitere Informationen
Stichworte
Bundesland: Niedersachsen, Distanz zum Kindergarten: 1.00, Distanz zur Grundschule: 1.00, Distanz zur nächsten Einkaufsmöglichkeit: 2.00, Distanz zum Gymnasium: 3.00, Distanz zur Autobahn: 5.00, Distanz vom Zentrum: 2.00
Anbieter der Immobilie
Online-ID: 2mxsj57
Referenznummer: 597411_3
Finde Angebote wie dieses
Hier geht es zu unserem Impressum, den Allgemeinen Geschäftsbedingungen, den Hinweisen zum Datenschutz und nutzungsbasierter Online-Werbung.