

Sven Arndt Immobilien
Herr Sven Arndt
043 ···
Nr. anzeigenPreise & Kosten
Provision für Käufer
3,57 % inkl. der gesetzl. MwSt.
Lage
Das Grundstück liegt im Landkreis Vetlanda, einer der reizvollsten Naturregionen Südschwedens. Allein im Landkreis existieren rund 30 Seen, die die Gegend zu einem Paradies für Naturfreunde, Ruhesuchende, Wassersportler und Angler machen.
Der See Värnen selbst erstreckt sich über ca. 6 Kilometer Länge und bietet...
Die Immobilie
Zu diesem Angebot wurden vom Anbieter keine weiteren Daten hinterlegt. Für weitere Informationen bitte den Anbieter kontaktieren.
Nach Informationen fragenDetails
Objektbeschreibung
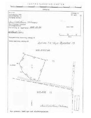
Zum Verkauf steht ein außergewöhnliches, zweiteiliges Grundstück in einzigartiger Naturlage am See Värnen in Südschweden, idyllisch gelegen zwischen Växjö und Vetlanda. Das Anwesen besteht aus einem rund 3.000 m² großen Hanggrundstück sowie einem zusätzlichen Seegrundstück von ca. 100 - 200 m², das als Bootsplatz am Ufer des...
Ausstattung
Dieses außergewöhnliche Anwesen vereint Weite, Ruhe und Natur in seltener Perfektion. Das rund 3.000 m² große Hanggrundstück thront etwa 200 Meter über dem Wasserspiegel des Sees Värnen und eröffnet einen unverbaubaren Blick über das glitzernde Wasser und die endlosen Wälder am Horizont. Ergänzt wird es mit einem zweiten, ca...
Weitere Informationen
Sonstiges
Es gelten die allgemeinen Geschäftsbedingungen der Firma Sven Arndt Immobilien. Die Käufer-Provision ist verdient und fällig mit Beurkundung des notariellen Kaufvertrages. Alle Angaben in diesem Exposé sind ohne Gewähr und basieren ausschließlich auf Informationen, die uns von unserem Auftraggeber übermittelt...
Anbieter der Immobilie

Online-ID: 2mzdz5t
Referenznummer: 1065
Finde Angebote wie dieses
Hier geht es zu unserem Impressum, den Allgemeinen Geschäftsbedingungen, den Hinweisen zum Datenschutz und nutzungsbasierter Online-Werbung.