
VON POLL IMMOBILIEN Shop Hohen Neuendorf - Holger Brandt
Herr Holger Brandt
004 ···
Nr. anzeigenPreise & Kosten
Provision für Käufer
Käuferprovision beträgt 7,14 % (inkl. MwSt.) des beurkundeten Kaufpreises
Lage
Schmachtenhagen, ein idyllischer Ortsteil der Stadt Oranienburg im Landkreis Oberhavel, Brandenburg, liegt etwa 30 Kilometer nördlich des Berliner Stadtzentrums. Die Umgebung ist geprägt von einer harmonischen Mischung aus Wäldern, Seen und landwirtschaftlichen Flächen, die einen enormen Erholungswert bieten und darüber...
Die Immobilie
Zu diesem Angebot wurden vom Anbieter keine weiteren Daten hinterlegt. Für weitere Informationen bitte den Anbieter kontaktieren.
Nach Informationen fragenDetails
Objektbeschreibung
Natur-pur trifft den Kern des hier angebotenen Grundstücks.
Das großzügige und sehr ruhig gelegene Grundstück bietet dabei vielfältige Nutzungsmöglichkeiten.
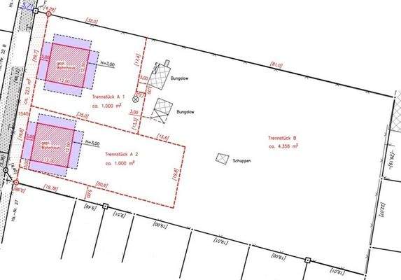
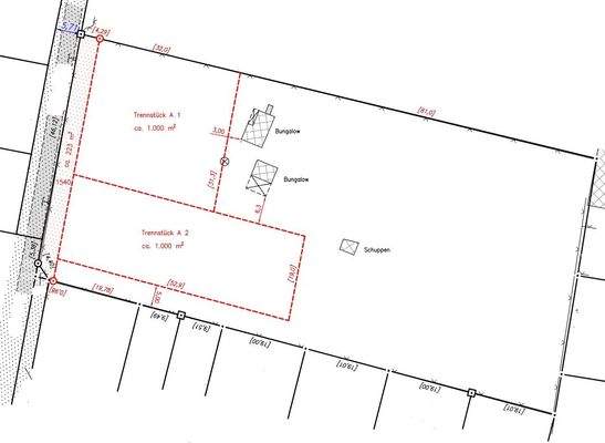
Die Gesamtfläche des Grundstückes beträgt ca. 1.000 m².
Aktuell ist das Areal als Waldfläche ausgewiesen.
Es gibt jedoch einen gültigen positiven...
Weitere Informationen
Sonstiges
GELDWÄSCHE: Als Immobilienmaklerunternehmen ist die von Poll Immobilien GmbH nach § 2 Abs. 1 Nr. 14 und § 10 Abs. 3 Geldwäschegesetz (GwG) dazu verpflichtet, bei der Begründung einer Geschäftsbeziehung die Identität des Vertragspartners festzustellen und zu überprüfen. Hierzu ist es erforderlich, dass wir nach §...
Anbieter der Immobilie
VON POLL IMMOBILIEN Shop Hohen Neuendorf - Holger Brandt
Berliner Straße 23, 16540 Hohen Neuendorf
Online-ID: 2nndr5b
Referenznummer: 24116027-4
Finde Angebote wie dieses
Hier geht es zu unserem Impressum, den Allgemeinen Geschäftsbedingungen, den Hinweisen zum Datenschutz und nutzungsbasierter Online-Werbung.