

Immobilien Dienstleistung Hannemann
Herr Maik Hannemann
071 ···
Nr. anzeigenPreise & Kosten
Provision für Käufer
4,76% inkl. MwSt.
Lage
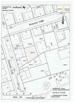
Das Grundstück liegt in einer verkehrsberuhigten Anwohnerstraße (Wiesbadener Straße) in zweiter Baureihe. Innerhalb Cannstatt kann diese als einer der besten Lagen bezeichnet werden.
Die Cannstatter Altstadt mit sämtlichen Geschäften des täglichen Bedarfs und einer Vielzahl von Bars und Restaurants ist in 10...
Die Immobilie
Zu diesem Angebot wurden vom Anbieter keine weiteren Daten hinterlegt. Für weitere Informationen bitte den Anbieter kontaktieren.
Nach Informationen fragenDetails
Objektbeschreibung
Das zu verkaufende Baugrundstück liegt in zweiter Baureihe mitten im urbanen Teil Bad Cannstatts mit umliegenden hübschen Häuserbestand aus der vorherigen Jahrhundertwende (Kurbad-Zeit von Cannstatt).
Die Begehung/Versorgung des Grundstückes ist durch eine Dienstbarkeit auf dem straßenseitigen Grundstück...
Anbieter der Immobilie
Immobilien Dienstleistung Hannemann
Seubertstr. 18, 70374 Stuttgart

Online-ID: 2nuk554
Referenznummer: 355
Finde Angebote wie dieses
Hier geht es zu unserem Impressum, den Allgemeinen Geschäftsbedingungen, den Hinweisen zum Datenschutz und nutzungsbasierter Online-Werbung.