
LIDL Dienstleistung GmbH & Co. KG
Firma Lidl Vertriebs-GmbH & Co. KG Gera
Kontaktiere den Anbieter schriftlich, es ist keine Telefonnummer hinterlegt.
Preise & Kosten
Provision für Käufer
provisionsfrei
Lage
Merkers- Kieselbach ist eine Gemeinde im Wartburgkreis in Thüringen und besteht aus den Ortsteilen Kieselbach, Merkers und Kambachsmühle. Die Gemeinde zählt ca. 5.046 Einwohner, in nur wenigen Minuten kann die Bundesautobahn A4 erreicht werden.
Die Immobilie
Zu diesem Angebot wurden vom Anbieter keine weiteren Daten hinterlegt. Für weitere Informationen bitte den Anbieter kontaktieren.
Nach Informationen fragenDetails
Ausstattung
Unbebaut.
Weitere Informationen
Flächenangaben
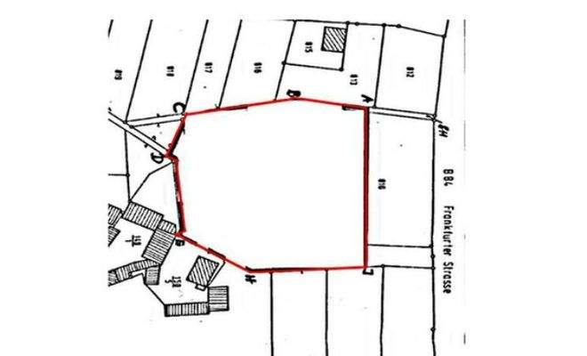
Das Grundstück erstreckt sich über 5.770 qm.
Weitere Informationen
Das Grundstück befindet sich in Sichtweite der Frankfurter Str., der Hauptstraße von Kieselbach, die unbebaute Fläche befindet sich in westlicher Stadtrandlage, eine Erschließungszufahrt von der Bachstraße bis zum Grundstück besteht...
Dokumente
Anbieter der Immobilie
Firma Lidl Vertriebs-GmbH & Co. KG Gera
Dein Ansprechpartner
Kontaktiere den Anbieter schriftlich, es ist keine Telefonnummer hinterlegt.
Online-ID: 2rueb4j
Referenznummer: 2247
Finde Angebote wie dieses
Hier geht es zu unserem Impressum, den Allgemeinen Geschäftsbedingungen, den Hinweisen zum Datenschutz und nutzungsbasierter Online-Werbung.