

Engel & Völkers - Schleswig
Frau Kathrin Hansen
046 ···
Nr. anzeigenPreise & Kosten
Provision für Käufer
Die Käufercourtage in Höhe von 2,38 % auf den Kaufpreis einschließlich gesetzlicher Mehrwertsteuer ist bei notariellem Vertragsabschluss verdient und fällig.
Lage
Die ruhige Gemeinde Selk liegt in landschaftlich sehr reizvoller Lage direkt am Selker Noor nahe der Kreisstadt Schleswig und der Schlei. Selk ist vorwiegend durch Wohnbebauung mit großzügig geschnittenen, ruhigen Grundstücken wie diesem geprägt. Aufgrund der guten verkehrstechnischen Anbindung und seiner landschaftlichen...
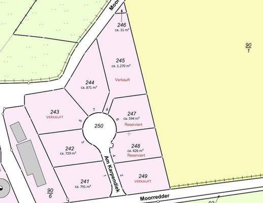
Das Grundstück
Details
Objektbeschreibung
Oberhalb des Selker Noors gelegen, stehen sechs voll erschlossene Baugrundstücke zum Verkauf. Die Grundstücke liegen an einer neu angelegten, schönen Sackgassenstraße mit einem freien Blick in die Natur und die angrenzenden Felder. Die Grundstücke des Baugebietes „östlicher Moorredder“ haben eine Größe von ca. 594 m² bis zu...
Anbieter der Immobilie

Online-ID: 2krge5m
Referenznummer: W-030NXP
Finde Angebote wie dieses
Hier geht es zu unserem Impressum, den Allgemeinen Geschäftsbedingungen, den Hinweisen zum Datenschutz und nutzungsbasierter Online-Werbung.