
Matlok Immobilien
Frau Nicole Matlok
030 ···
Nr. anzeigenPreise & Kosten
Provision für Käufer
3,57 % incl. Mwst. (Gesamtprovision von 7,14%, geteilt zwischen Käufer und Verkäufer (jeweils 3,57% inkl. 19% Umsatzsteuer)
Lage
Die Lage überzeugt durch ihr grünes Wohnumfeld und kurze Wege: Die Wartenberger Feldmark ist fußläufig erreichbar, Einkaufsmöglichkeiten, Kitas und Schulen liegen im Umkreis von 1–3 km. Buslinien 256/893 sowie die S-Bahn Wartenberg (ca. 8 Minuten mit dem Fahrrad) sorgen für eine gute Anbindung, die A10 (Lindenberg) ist in...
Das Haus
Kategorie
Einfamilienhaus
Energie & Heizung
Warum sehe ich diese Anzeige? – Du siehst diese Anzeige basierend auf Ihrer Navigation auf unserer Website und den Suchkriterien, die du verwendet hast.
Energieausweistyp
Verbrauchsausweis
Gebäudetyp
Wohngebäude
Wesentliche Energieträger
Öl
Gültigkeit
30.04.2025 bis 30.04.2035
Effizienzklasse
H
Endenergieverbrauch
367,60 kWh/(m²·a)
Weitere Energiedaten
Energieträger
Öl
Details
Objektbeschreibung
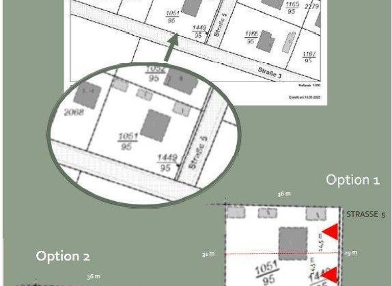
Auf diesem erschlossenen Eckgrundstück in Berlin-Wartenberg eröffnen sich vielseitige Möglichkeiten für neue Wohnideen. Die ruhige Lage im Grünen, eine gewachsene Nachbarschaft und die gute Anbindung machen das Grundstück sowohl für Familien als auch für Investoren interessant.
Das Grundstück umfasst insgesamt 1.088 m²...
Weitere Informationen
Sonstiges
Alle Angaben stammen vom Eigentümer; für deren Richtigkeit wird keine Gewähr übernommen. Maßgeblich sind die Eintragungen im Grundbuch sowie die behördlichen Auskünfte.
Die Bebauung richtet sich nach §34 BauGB im Rahmen der Umgebungsbebauung. Die zulässige Grundflächenzahl (GRZ) beträgt 0,4 - je Bauplatz...
Anbieter der Immobilie
Matlok Immobilien
Finkensteig 9b, 16356 Ahrensfelde
Online-ID: 2mmqv5x
Finde Angebote wie dieses
Hier geht es zu unserem Impressum, den Allgemeinen Geschäftsbedingungen, den Hinweisen zum Datenschutz und nutzungsbasierter Online-Werbung.