

Grundstück zum Kauf300000 €424 €/m²708 m² Grundstück
300000 €
424 €/m²
708 m² Grundstück
Baurechtsgrundstück mit Baugenehmigung - Bauen Sie Ihr Eigenheim in Langenzersdorf
Merkmale
- 708 m² Grundstück
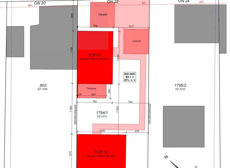
Grundrisse
Grundrisse
1 / 7
Realisiere Dein Projekt
Bausubstanz und Energie
Möchtest du Details zum Energieverbrauch?

- Zustand der ImmobilieNeubau
Preisdetails
Kaufpreis
300000 €
423,73 €/m²
Provision für Käufer
3% des Kaufpreises zzgl. 20% USt.
Lage

Alleestraße 22, Langenzersdorf (2103)
Weitere Informationen
Weitere Services
Lust auf eine Besichtigung?
Eine Frage zur Immobilie?
Über den Anbieter
Stubenvoll ImmobilienMaklerbüro
Utendorfgasse, 4/14, Wien Wien
Partnerschaft

Herr Ferdinand StubenvollDein Kontakt
Online-ID: 23KN3MA7GT2P
Referenznummer: OBGC202310251106484640a140204ff


Stubenvoll Immobilien
Wie zufrieden bist du mit dieser Seite (nicht mit der Immobilie selbst)?
