Version: 8.25.1Navigation überspringen
110.000 €
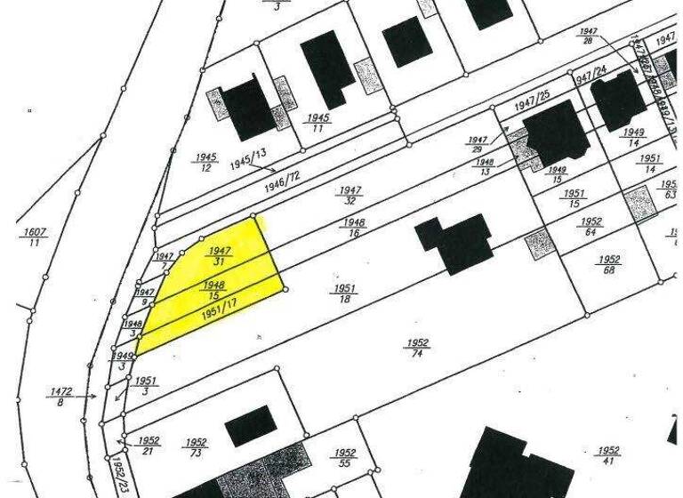
621 m² Grundstück
Immowelt logo

Grundstück zum Kauf
110000 €
177 €/m²
621 m² Grundstück

schönes Baugrundstück in ruhiger, grüner Lage

Dieses sehr schöne Baugrundstück liegt an einer ruhigen Nebenstraße von St. Ingbert-Rohrbach am Ortsrand ganz in der Nähe des Naherholungsgebietes Glashütter Weiher. Die Lage zeichnet sich durch eine hervorragende Verkehrsanbindung in alle Richtungen aus (schnelle Anbindung an die A6 oder A8). Viel Grün in nächster Umgebung, aber auch kurze Wege zu Einkaufsmöglichkeiten, Ärzten, Apotheke, Schule und Kindergarten sind für Familien gegeben.
Das Grundstück liegt nahezu eben in einer leichten Kurve am Rande eines sehr beliebten Wohngebietes. Bebaubar ist es mit einem freistehenden Ein-Zweifamilienhaus gemäß Bebauungsplan.

Merkmale

  • Bezug: sofort
  • 621 m² Grundstück

Grundrisse

Grundrisse
1 / 1

Realisiere Dein Projekt

Bausubstanz und Energie

Möchtest du Details zum Energieverbrauch?info_energy_calculation-icon
Immowelt logo

Preisdetails

Kaufpreis
110000 €
177,13 €/m²
Provision für Käufer
Käuferprovision 3,57% incl. MwSt
Geschätzte Gesamtkosten
113.927 €1
Kaufpreis
110.000 €
Provision für Käufer (3,57%)
3.927 €
1Der angezeigte Wert ist eine automatisch berechnete Schätzung von immowelt.
2Bei den Angaben handelt es sich um ortsübliche Werte. Individuelle Kosten können abweichen.

Lage

address-icon
RohrbachSt. Ingbert (66386)
Der Anbieter hat die genaue Adresse nicht freigegeben

Weitere Informationen

Stichworte Grundstücksfront: 30,00 m, Bundesland: Saarland, Gemarkung: Rohrbach

Weitere Services

Lust auf eine Besichtigung?
Eine Frage zur Immobilie?
Nachricht hinzufügen
Mit der Nutzung der oben angegebenen Telefonnummer oder durch Klicken auf „Kontaktieren“ akzeptierst Du die Allgemeinen Nutzungsbedingungen, denen Du jederzeit widersprechen kannst. Weitere Informationen zum Datenschutz

Über den Anbieter

Heidenkopferdell 19, 66123 Saarbrücken
partner badge
10 Jahre Partnerschaft
Herr Uli Klicker
Herr Uli KlickerDein Kontakt
Online-ID: 26I1DZ2T5BHP
Referenznummer: 1-6524
Hansen + Blum Immobilien GmbH
title
Hansen + Blum Immobilien GmbH
Bewertung: 4,2 von 5 Sternen
Nachricht hinzufügen
Mit der Nutzung der oben angegebenen Telefonnummer oder durch Klicken auf „Kontaktieren“ akzeptierst Du die Allgemeinen Nutzungsbedingungen, denen Du jederzeit widersprechen kannst. Weitere Informationen zum Datenschutz
Wie zufrieden bist du mit dieser Seite (nicht mit der Immobilie selbst)?