Baugrundstück in Meschede / Pläne für MFH vorhanden
Dieses attraktive Baugrundstück befindet sich in einer begehrten Wohngegend und bietet Ihnen die perfekte Grundlage für Ihr zukünftiges Traumhaus oder lukratives Investitionsprojekt. Mit einer Fläche von 910 m² haben Sie ausreichend Platz, um Ihre individuellen Wohnideen zu verwirklichen oder ein Mehrfamilienhaus zu errichten.
Merkmale
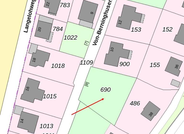
910 m² Grundstück
Das Grundstück befindet sich in Hanglage und besticht durch seinen alten Baumbestand, der eine natürliche Atmosphäre schafft. Genießen Sie den atemberaubenden Blick über die Stadt - ein wahrer Genuss, der Ihr Bauprojekt zusätzlich aufwertet!
Besonderheiten:
Grundstück mit Fernsicht Bebaubarkeit nach Bebauungsplan Allgemeines Wohngebiet Attraktive Möglichkeit für Investoren zur Errichtung eines Mehrfamilienhauses mit einer möglichen Wohnfläche von bis zu 1.180 m² Ruhige Nachbarschaft mit viel Grün
Grundrisse
Grundrisse
1 / 1
Realisiere Dein Projekt
Bausubstanz und Energie
Der Anbieter hat keine Informationen zu Energieverbrauch oder Zustand der Immobilie bereit gestellt.
Das Grundstück liegt in Meschede im Wohngebiet "Langeloh" einer ruhigen und familienfreundlichen Nachbarschaft. In unmittelbarer Nähe finden Sie alle wichtigen Einrichtungen des täglichen Bedarfs, wie Supermärkte, Schulen und Kindergärten. Die Anbindung an öffentliche Verkehrsmittel sowie die Autobahnauffahrt sind ebenfalls optimal. Besonders hervorzuheben ist die Nähe zum Hennesee, der nur wenige Kilometer entfernt liegt und zahlreiche Freizeitmöglichkeiten bietet.
Weitere Informationen
Sonstiges
Nutzen Sie die Chance, in dieser attraktiven Lage zu bauen und gestalten Sie Ihr neues Zuhause ganz nach Ihren Vorstellungen. Bei Interesse oder weiteren Fragen stehe ich Ihnen gerne zur Verfügung!
Provisionshinweis: Käuferprovision beträgt 3,57% ( inkl. MwSt.) des beurkundeten Kaufpreises
Wir freuen uns auf Ihre Anfragen!
Stichworte
GRZ: 0.4, Bundesland: Nordrhein-Westfalen