AIGNER - Grundstück mit Planung für zwei Mehrfamilienhäuser mit 1.900m² Gesamtwohnfläche in Baldham
Das zu Verkauf stehende Grundstück wird mit Planung verkauft. Der Bauvorbescheid wurde gestellt und kann vorgelegt werden, sobald die schriftliche Zustimmung erfolgt ist. Gerne stellen wir die Planung und weitere Informationen auf Anfrage zur Verfügung.
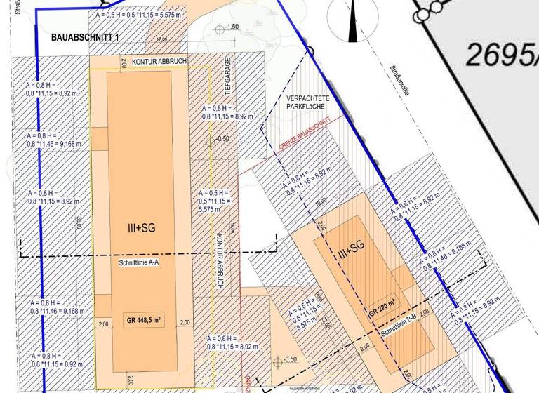
Die Bebaubarkeit ist nach § 34 BauGB (Zulässigkeit von Vorhaben innerhalb der im Zusammenhang bebauten Ortsteile) und somit nach der Nachbarbebauung zu beurteilen. Unter Berücksichtigung der umliegenden Bebauung wurden zwei Mehrfamilienhäuser mit gesamt ca. 667 m² Grundfläche, drei Vollgeschossen und einem Staffelgeschoss geplant. Es könnten somit zwei Mehrfamilienhäuser mit insgesamt ca. 1.900 m² Wohnfläche erstellt werden.
Ein Teil des Grundstücks ist bis zum Jahr 2032 an die Gemeinde Vaterstetten verpachtet, mit dem einmaligen Recht der Gemeinde, den Pachtvertrag um fünf Jahre zu verlängern. Im Anschluss daran kann der zweite Baukörper realisiert werden. Dieser ist mit einer Grundfläche von 264,5 m² vorgesehen, was eine Wohnfläche von etwa 749 m² ermöglichen würde.
Alle Informationen sind ohne Gewähr, vorbehaltlich Genehmigung der Bauvoranfrage durch die Baubehörde. Bitte beachten Sie, dass wir für die Angaben zu den Bebauungskennzahlen im Exposé keinerlei Haftung übernehmen.
Merkmale
2.243 m² Grundstück
voll erschlossen
Grundrisse
Grundrisse
1 / 1
Realisiere Dein Projekt
Bausubstanz und Energie
Möchtest du Details zum Energieverbrauch?
Zustand der ImmobilieAbrissobjekt
Preisdetails
Preis auf Anfrage
Provision für Käufer
3,57% inkl. MwSt. Die Käuferprovision beträgt 3,57% inkl. gesetzlicher Mehrwertsteuer vom wirtschaftlichen Kaufpreis. Unsere Angebote erfolgen freibleibend und unverbindlich. Irrtum und Zwischenverkauf bleiben vorbehalten.
Lage
Baldham (85598)
Der Anbieter hat die genaue Adresse nicht freigegeben
Mitten im Grünen und trotzdem zentral: In einer ruhigen Spielstraße gelegen, befindet sich dieses Grundstück.
Alle Geschäfte des täglichen Bedarfs sind fußläufig erreichbar. Vaterstetten liegt im Südosten der Landeshauptstadt und ist rund 15 km von deren Zentrum entfernt. Die S-Bahn ist wenigen Minuten zu Fuß erreichbar. Von dort fahren die Linien S4 und S6 in kurzer Taktung direkt in ca. 20 Minuten in die Münchner Innenstadt.
Auch zum Straßenverkehr ist die Gemeinde durch die B 304 bzw. die A 94/99 hervorragend angebunden. Aufgrund seiner Nähe zu München ist Vaterstetten/Baldham als Wohnort besonders gefragt und gilt als gehobene Wohngegend.
Sämtliche Einkaufsmöglichkeiten sowie Kindergärten und Schulen jeder Art sind im Ort vorhanden. Die hohe Anzahl an Ärzten, sozialen Einrichtungen, Apotheken und Vereinen wertet Vaterstetten/Baldham außerdem enorm auf.
Weitere Informationen
Sonstiges
Mehr Bilder und Infos hier - https://aigner-immobilien.de/objekt/ID-42488/