Version: 8.25.1Navigation überspringen
RICHERT & OERTEL IMMOBILIEN GMBH
15 €
1.734 m² Bürofläche

Büro zur Miete • provisionsfrei
15 €
/m²
1.734 m² Bürofläche

Zentral, modern, flexibel - Bürofläche im Zentrum von Dresden

Bei diesem Objekt handelt es sich um einen repräsentativen Bürokomplex in absoluter Zentrumslage. Er ist sowohl mit dem PKW als auch mit den öffentlichen Verkehrsmitteln optimal und schnell erreichbar.

Die Gewerbefläche liegt im 1. Obergeschoss und wird nach Absprache frei.

In den benachbarten Einheiten sind bereits Dienstleister wie bspw. eine Krankenkasse, ein Hörgeräteladen sowie verschiedene Beratungsstellen und eine internationale Sprachschule ansässig.

Merkmale

  • Bezug: nach Absprache
- Innenhof
- mehrere Treppenhäuser und Aufzüge
- getrennte WC-Anlagen, jew. auch behindertengerecht (Herren/Damen)
- drei Teeküchen
- Besprechungsraum
- Industrieteppich
- Bodensteckdosen
- Glasfaseranschluss
- Sonnenschutz außenliegend

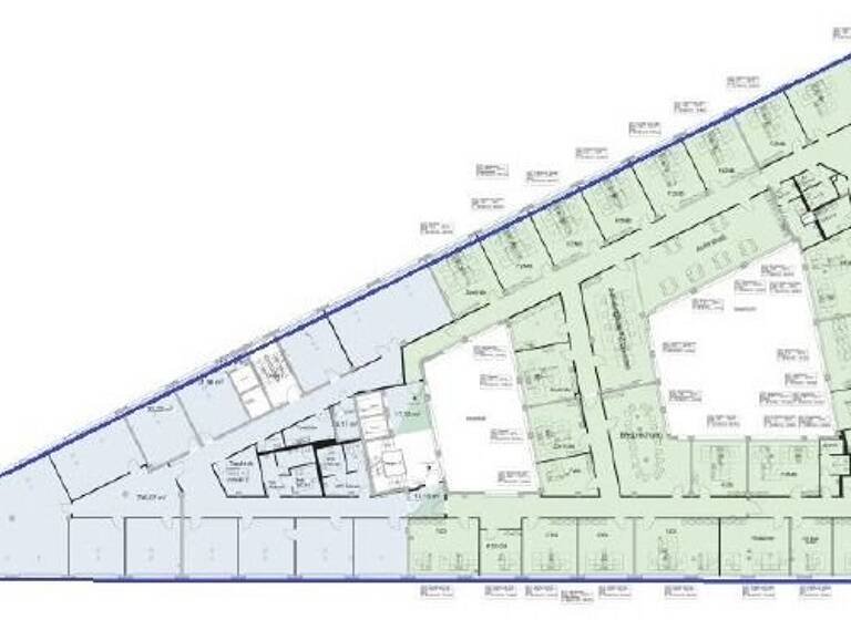
Grundrisse

Grundrisse
1 / 1

Realisiere Dein Projekt

Bausubstanz und Energie

Energieausweis

Endenergieverbrauch (Wärme)

Endenergieverbrauch (Strom)

  • Baujahr2004
  • EnergieträgerFernwärme
MediumRectangleTop

Mietkosten

Monatliche Miete
15 €/m²
Nebenkosten
4 €
Provision für Mieter
provisionsfrei; honorarfrei inkl. MwSt.
Das Objekt wird honorarfrei angeboten.
Kaution
keine Angabe

Lage

address-icon
Seevorstadt-Ost/Großer GartenDresden (01069)
Der Anbieter hat die genaue Adresse nicht freigegeben
Der Wiener Platz befindet sich unmittelbar vor dem Dresdner Hauptbahnhof. An diesem verkehren sechs Straßenbahnlinien und eine Buslinie der Dresdner Verkehrsbetriebe. Der KFZ-Verkehr unterquert in ost-westlicher Richtung in einem Tunnel kreuzungsfrei den Wiener Platz und den stadtwärtigen Verkehr der Bundesstraße 170. Das direkte Umfeld ist von einer Mischnutzung aus Gewerbe und Wohnen geprägt. Das Projekt - Prager Carreé - welches sich in unmittelbarer Nähe befindet, bietet neuen Wohnraum inmitten von Dresden. Die Mikrolage ist geprägt durch eine hohe Wohndichte und Einzelhandelsflächen, welche somit eine hohe Passantenfrequenz (Prager Straße) bietet.

Weitere Informationen

Sonstiges Der Mietpreis ist als Basismietpreis zu verstehen und richtet sich nach Ausstattung sowie Vertragslaufzeit. Die Angaben verstehen sich zzgl. Nebenkosten und zzgl. gesetzl. Mehrwertsteuer.

Das Objekt wird honorarfrei angeboten.

Der aktuelle Energieausweis liegt vor. Alle in diesem Angebot enthaltenen Angaben, Darstellungen und Preise stammen ausschließlich vom Eigentümer oder eines Dritten. Eine Haftung unseres Unternehmens hierfür ist ausgeschlossen. Irrtum und die zwischenzeitliche Vermietung der Gewerbeeinheit bleiben vorbehalten. Dieses Exposé ist eine Vorabinformation, als Rechtsgrundlage gilt allein der abgeschlossene Mietvertrag.

RICHERT & OERTEL IMMOBILIEN GMBH
Tiergartenstraße 46, 01219 Dresden
Tel.: +49 (351) 43 31 20, Fax.: +49 (351) 43 31 212, E-Mail: info@r-o.de
AG Dresden, HRB 31382, Geschäftsführer Michael Oertel, Raiko Ebert Stichworte Gesamtfläche: 1.734,00 m², 6 Etagen

Weitere Services

Lust auf eine Besichtigung?
Eine Frage zur Immobilie?
Mit einer persönlichen Nachricht hast du bessere Chancen auf eine Antwort.
Mit der Nutzung der oben angegebenen Telefonnummer oder durch Klicken auf „Kontaktieren“ akzeptierst Du die Allgemeinen Nutzungsbedingungen, denen Du jederzeit widersprechen kannst. Weitere Informationen zum Datenschutz

Über den Anbieter

Tiergartenstraße 46, 01219 Dresden
Frau Jenny VölkelDein Kontakt
Online-ID: 24N9ZHQ4UI9L
Referenznummer: R_O 21998
RICHERT & OERTEL IMMOBILIEN GMBH
RICHERT & OERTEL IMMOBILIEN GMBH
Bewertung: 3,3 von 5 Sternen
Mit einer persönlichen Nachricht hast du bessere Chancen auf eine Antwort.
Mit der Nutzung der oben angegebenen Telefonnummer oder durch Klicken auf „Kontaktieren“ akzeptierst Du die Allgemeinen Nutzungsbedingungen, denen Du jederzeit widersprechen kannst. Weitere Informationen zum Datenschutz
MediumRectangleTop
MediumRectangleBottom
MediumRectangleTop
Wie zufrieden bist du mit dieser Seite (nicht mit der Immobilie selbst)?