Version: 8.24.0Navigation überspringen
Immobilienbüro  Budde & Kok
350.000 €
190 m²  •  886 m² Grundstück

Mehrfamilienhaus zum Kauf
350000 €
1.842 €/m²
190 m²  •  886 m² Grundstück

Attraktives Zweifamilienhaus in zentraler Lage von Friesoythe zu verkaufen.

Willkommen in Friesoythe, wo Ihr neues Zuhause auf Sie wartet! Dieses charmante Zweifamilienhaus, das 1973 erbaut wurde, bietet Ihnen die perfekte Gelegenheit, Ihre Wohnträume zu verwirklichen. Auf einem großzügigen Grundstück von ca. 886 m² gelegen, besticht dieses Haus durch seine vielfältigen Möglichkeiten und das Potenzial zur individuellen Gestaltung.

Mit einer Wohnfläche von ca. 190 m² bietet das Haus ausreichend Platz für zwei Familien oder eine große Familie, die sich ein geräumiges Zuhause wünscht. Die Immobilie ist voll unterkellert, was zusätzlichen Stauraum oder die Möglichkeit für Hobbyräume schafft. Eine einladende Terrasse lädt dazu ein, entspannte Stunden im Freien zu verbringen und die frische Luft zu genießen.

Das Haus ist renovierungsbedürftig, was ideal für alle ist, die ihre eigenen Ideen und Vorstellungen umsetzen möchten, um ein modernes und zeitgemäßes Zuhause zu schaffen. Die Verfügbarkeit ist nach Vereinbarung, sodass Sie in Ruhe Ihre Pläne realisieren können.

Für alle, die das Potenzial dieses Hauses erkennen und es mit kreativen Ideen zum Leben erwecken möchten, ist dies eine einmalige Gelegenheit. Zögern Sie nicht und vereinbaren Sie noch heute einen Besichtigungstermin, um dieses einzigartige Objekt näher kennenzulernen!

Die Oberwohnung ist derzeit vermietet.

Energieausweis in Vorbereitung.

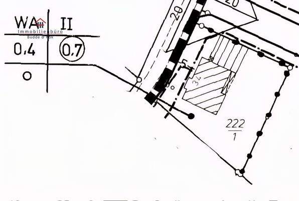
Die Bebauung ist nach dem Bebauungsplan Nr. 039 "Eschstraße 2. Änderung" der Stadt Friesoythe möglich.

Dieser beinhaltet folgende Daten:

WA - allgemeines Wohngebiet
GRZ 0,4
GFZ 0,7
zwei Vollgeschosse
ohne Baubindung

Vereinbaren Sie noch heute einen Besichtigungstermin und überzeugen Sie sich selbst von diesem attraktiven Angebot!

Käuferprovision: 3,57 % inkl. MwSt.

Merkmale

  • Bezug: nach Vereinbarung
  • vermietet
  • 886 m² Grundstück
  • Keller
  • 2 Stellplätze: 2 Garagen
  • Balkon
* Keller

* Erdgeschoss:

- Küche
- Wohnzimmer
- 2 x Schlafzimmer
- Büro
- Badezimmer mit Dusche, Badewanne, WC und Waschbecken
- Gäste-WC
- HWR mit Ausgang zum Garten
- Flur


* Terrasse
* Garten
* 2 x Garage


* Obergeschoss

- Küche mit Einbauküche
- Wohnzimmer
- 2 x Schlafzimmer
- Badezimmer
- WC
- Abstellraum
- Flur

Grundrisse

Grundrisse
1 / 3

Realisiere Dein Projekt

Bausubstanz und Energie

Der Anbieter hat keine Informationen zum Energieverbrauch bereit gestellt.
  • Baujahr1973
  • Zustand der Immobilierenovierungsbedürftig / sanierungsbedürftig
  • EnergieträgerGas
MediumRectangleTop

Preisdetails

Kaufpreis
350000 €
1.842,11 €/m²
Provision für Käufer
3,57 % inkl. gesetzlicher MwSt.
Weitere Preisinformationen
2 Garagenstellplätze
Geschätzte Gesamtkosten
386.995 €1
Kaufpreis
350.000 €
Notarkosten (1,5%)
5.250 €
Grunderwerbsteuer (5%)
17.500 €
Provision für Käufer (3,57%)
12.495 €
Grundbucheintrag (0,5%)
1.750 €
1Der angezeigte Wert ist eine automatisch berechnete Schätzung von immowelt.
2Bei den Angaben handelt es sich um ortsübliche Werte. Individuelle Kosten können abweichen.

Lage

address-icon
Friesoythe (26169)
Der Anbieter hat die genaue Adresse nicht freigegeben
Das angebotene Zweifamilienhaus befindet sich in Friesoythe, einer charmanten Stadt im Landkreis Cloppenburg in Niedersachsen. Mit rund 23.000 Einwohnern bietet Friesoythe eine gelungene Kombination aus städtischer Infrastruktur und ländlichem Flair.

Die Immobilie liegt in einer zentralen und gewachsenen Wohngegend, die sich besonders durch ihre familienfreundliche Atmosphäre auszeichnet. Einkaufsmöglichkeiten, Schulen, Kindergärten, Ärzte sowie zahlreiche Freizeit- und Sporteinrichtungen sind in wenigen Minuten erreichbar. Auch das Stadtzentrum mit vielfältigen Angeboten des täglichen Bedarfs ist nur einen kurzen Weg entfernt.

Verkehrstechnisch ist Friesoythe gut angebunden: Die Bundesstraßen B72 und B401 ermöglichen eine schnelle Verbindung zu den umliegenden Städten wie Cloppenburg, Oldenburg oder Papenburg. Der öffentliche Nahverkehr ist ebenfalls gut ausgebaut und bietet regelmäßige Busverbindungen innerhalb der Region.

Die naturnahe Umgebung mit der Thülsfelder Talsperre, ausgedehnten Wäldern und Radwegen lädt zu Erholung und Aktivitäten im Freien ein - ein idealer Wohnort für Familien, Pendler und Naturliebhaber gleichermaßen.

Weitere Informationen

Sonstiges Willkommen auf unserer Seite!

Wir freuen uns über Ihr Interesse an dieser Immobilie und stehen Ihnen gerne für weitere Informationen zur Verfügung.

Wenn Ihnen dieses Objekt zusagt, zögern Sie nicht, uns zu kontaktieren, um einen Besichtigungstermin zu vereinbaren. Gerne unterstützen wir Sie auch bei der Finanzierung und erstellen mit Ihnen gemeinsam ein maßgeschneidertes Finanzierungsangebot.

Bitte haben Sie Verständnis dafür, dass wir Anfragen nur mit vollständiger Adresse und Telefonnummer bearbeiten können. Wir bitten Sie auch darum, das Grundstück nur mit einem vereinbarten Besichtigungstermin zu betreten, um den Wünschen der Eigentümer gerecht zu werden.

Die Käuferprovision, Grunderwerbsteuer, Notar- und Grundbuchkosten sind vom Käufer zu tragen. Eine Reservierung des Objektes ist nur nach Besichtigung, Vorlage einer schriftlichen Finanzierungsbestätigung und Einwilligung des Verkäufers möglich.

Alle Angaben in diesem Exposé wurden nach bestem Wissen und Gewissen gemacht, jedoch übernehmen wir keine Gewährleistung für die Richtigkeit und Vollständigkeit der Angaben. Dieses Exposé ist ausschließlich für Sie bestimmt und darf nur mit unserer Zustimmung an Dritte weitergegeben werden.

Wir freuen uns auf Ihre Anfrage und stehen Ihnen gerne für weitere Fragen zur Verfügung! Stichworte Anzahl Balkone: 1, Anzahl Terrassen: 1, Anzahl der Wohneinheiten: 2

Weitere Services

Lust auf eine Besichtigung?
Eine Frage zur Immobilie?
Nachricht hinzufügen
Mit der Nutzung der oben angegebenen Telefonnummer oder durch Klicken auf „Kontaktieren“ akzeptierst Du die Allgemeinen Nutzungsbedingungen, denen Du jederzeit widersprechen kannst. Weitere Informationen zum Datenschutz

Über den Anbieter

Grüner Hof 38, 26169 Friesoythe
partner badge
Partnerschaft
Herr Christian KokDein Kontakt
Online-ID: 2mdst5n
Referenznummer: CKCK2512684
Immobilienbüro  Budde & Kok
Immobilienbüro Budde & Kok
Bewertung: 5 von 5 Sternen
Nachricht hinzufügen
Mit der Nutzung der oben angegebenen Telefonnummer oder durch Klicken auf „Kontaktieren“ akzeptierst Du die Allgemeinen Nutzungsbedingungen, denen Du jederzeit widersprechen kannst. Weitere Informationen zum Datenschutz
MediumRectangleTop
MediumRectangleBottom
MediumRectangleTop
Wie zufrieden bist du mit dieser Seite (nicht mit der Immobilie selbst)?