
Seliger Immobilien GmbH
Frau Ursula Seliger, Dipl.Ing. (FH)
072 ···
Nr. anzeigenPreise & Kosten
Provision für Käufer
3,57 % vom Kaufpreis, inkl. 19 % gesetzlicher Mehrwertsteuer, bzw. nach aktueller gesetzlicher Regelung
Die Provision ist mit Abschluss des Kaufvertrages fällig.
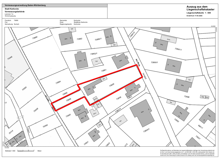
Lage
Der Karlsruher Stadtteil Grünwettersbach liegt etwa im Süd-Osten von Karlsruhe.
Unser Hanggrundstück erstreckt sich am nördlichen Rand des Bergdorfes. Hier haben Sie Sonne satt. Durch die topographische Lage ernten Sie Wärme und Licht in hohem Maße.
Grünwettersbach verfügt über ein Nahversorgungszentrum mit...
Das Haus
Kategorie
Mehrfamilienhaus
Baujahr
1950
Bezug
sofort
Derzeitige Nutzung
frei
Energie & Heizung
Warum sehe ich diese Anzeige? – Du siehst diese Anzeige basierend auf Ihrer Navigation auf unserer Website und den Suchkriterien, die du verwendet hast.
Energieausweistyp
Bedarfsausweis
Gebäudetyp
Wohngebäude
Baujahr laut Energieausweis
1950
Wesentliche Energieträger
Öl
Gültigkeit
09.12.2024 bis 08.12.2034
Effizienzklasse
G
Endenergiebedarf
226,40 kWh/(m²·a)
Weitere Energiedaten
Energieträger
Öl
Heizungsart
Ofen, Zentralheizung
Details
Objektbeschreibung
Derjenige, der sich für diese Immobilie entscheidet, wird mit einem
großzügigen, hellen, flexibel nutzbaren 1-2 Familienhaus belohnt. Trauen Sie sich durchaus mal an eine Renovierung ran. Die Vorteile liegen klar auf der Hand.
- persönliche Entscheidungen treffen (Wände raus / Wände rein)
- mit welchen...
Weitere Informationen
Raumaufteilung des Gebäudes
Erdgeschoss:
3 1/2 Zimmer, Küche, Tageslicht-Badezimmer mit Wanne und Waschbecken, separates WC, Diele
Extras im EG:
- Kaminofen in einem Zimmer
- Bad mit Fenster
- elektrische Markise beim Eingangsbereich; dieser ist wunderbar auch als Sonnenterrasse...
Anbieter der Immobilie
Seliger Immobilien GmbH
Thüringer Str. 3, 76228 Karlsruhe
Online-ID: 2mbwr5w
Finde Angebote wie dieses
Hier geht es zu unserem Impressum, den Allgemeinen Geschäftsbedingungen, den Hinweisen zum Datenschutz und nutzungsbasierter Online-Werbung.