Version: 8.24.0Navigation überspringen
Mietkosten auf Anfrage
5.000 m² Grundstück
Immowelt logo

Gewerbegrundstück zur Miete • provisionsfrei
Mietkosten auf Anfrage
5.000 m² Grundstück

Gewerbegrundstück an der B 32 * Freilager od. Stellplätze * Optional Hallenflächen

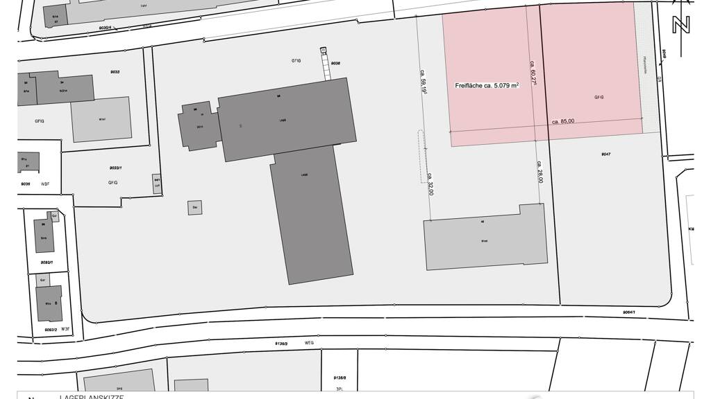
An dem Lager- und Logistikstandort an der B 32 steht ein befestigtes Gewerbegrundstück mit ca. 5.000 m² zur Vermietung. Dieses kann als Freilager oder für Stellplätze genutzt werden. Optional können nach Absprache Hallen- und Büroflächen angemietet werden.

Merkmale

  • Bezug: Nach Absprache
  • 5.000 m² Grundstück

Realisiere Dein Projekt

Bausubstanz und Energie

Der Anbieter hat keine Informationen zu Energieverbrauch oder Zustand der Immobilie bereit gestellt.
Immowelt logo

Mietkosten

Miete auf Anfrage
Provision für Mieter
provisionsfrei
Kaution
keine Angabe

Lage

address-icon
Gammertinger Straße 38-40Burladingen (72393)
Die Stadt Burladingen befindet sich auf der Schwäbischen Alb zwischen Hechingen und Gammertingen. Der Standort liegt direkt an der Bundesstraße B 32, an der Ortsausfahrt Richtung Gammertingen.

Gammertingen ist in ca. 10 Autominuten erreichbar. Hechingen und Albstadt liegen etwa 15 km entfernt. Nach Pfullingen, Reutlingen oder Tübingen gelangt man in ca. 30-35 Minuten Fahrzeit.

Burladingen ist an die Regionalbahn der SWEG angeschlossen, die zwischen Hechingen und Gammertingen verkehrt. Der Bahnhof ist in ca. 1 km Entfernung erreichbar. Die nächste Bushaltestelle ist fußläufig etwa 5 Minuten entfernt.

Die Nachbarschaft ist durch Wohnbebauung sowie durch kleine bis mittelgroße Bauunternehmen und holzverarbeitende Betriebe geprägt.

Im Ort sind Kita, Kindergärten, Grund- und weiterführende Schulen vorhanden. Neben den großen Supermärkten sind in Burladingen auch kleinstädtische Einrichtungen vertreten, wie Bäcker, Metzger, Bank, Friseur und diverse Dienstleistungsbetriebe, Ärzte und Vereine.

Weitere Informationen

Sonstiges Provisionsfrei, Vermittlung im Eigentümerauftrag.
Wir bitten um Ihr Verständnis dafür, dass wir in der Internetpräsentation keine Preise nennen können. Die Preisfindung bei Gewerbeobjekten ist erst möglich, wenn der Bedarf eines Interessenten erfasst sowie eventuell notwendige Gebäudeanpassungen und vertragliche Rahmenbedingungen bekannt sind. Deshalb sollten Preis- und Finanzierungsfragen in einem persönlichen Gespräch geklärt werden. Stichworte Stellplatz vorhanden, Nutzfläche: 5.000,00 m², Gesamtfläche: 5.000,00 m²

Weitere Services

Lust auf eine Besichtigung?
Eine Frage zur Immobilie?
Nachricht hinzufügen
Mit der Nutzung der oben angegebenen Telefonnummer oder durch Klicken auf „Kontaktieren“ akzeptierst Du die Allgemeinen Nutzungsbedingungen, denen Du jederzeit widersprechen kannst. Weitere Informationen zum Datenschutz

Über den Anbieter

Aspenhaustraße 19, 72770 Reutlingen
partner badge
10 Jahre Partnerschaft
Herr Johannes Fiedler
Herr Johannes FiedlerDein Kontakt
Online-ID: 2fmcs5a
Referenznummer: 1468_3
FIEDLER Gewerbeimmobilien GmbH
title
FIEDLER Gewerbeimmobilien GmbH
Nachricht hinzufügen
Mit der Nutzung der oben angegebenen Telefonnummer oder durch Klicken auf „Kontaktieren“ akzeptierst Du die Allgemeinen Nutzungsbedingungen, denen Du jederzeit widersprechen kannst. Weitere Informationen zum Datenschutz
Wie zufrieden bist du mit dieser Seite (nicht mit der Immobilie selbst)?