Attraktives Baugrundstück in ruhiger Lage von Sülfeld, OT Borstel – Perfekt für ein 1,5-geschoßiges EFH
Wir präsentieren Ihnen ein vielseitiges Grundstück in der begehrten Nachbarschaft Borstel, gelegen in der charmanten Stadt Sülfeld. Diese großzügige Baugrundstück erstreckt sich über eine Fläche von 761 m² und bietet eine Vielzahl an Möglichkeiten für Ihre Bauvorhaben. Die Umgebung ist durch eine ruhige Wohnatmosphäre geprägt und eignet sich ideal für Familien oder auch als Kapitalanlage.
Merkmale
frei ab sofort
761 m² Grundstück
Bauland ohne Bebauungsplan
voll erschlossen
Strom, Gas, Telekommunikation, Wasser
Das Grundstück bietet eine hervorragende Basis für die Errichtung Ihres Traumhauses. Mit den flexiblen Bebauungsmöglichkeiten lässt sich hier sowohl ein modernes Eigenheim als auch ein renditestarkes Projekt realisieren.
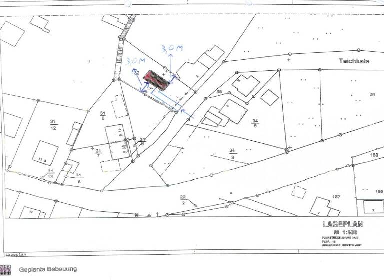
Dieses schöne Baugrundstück mit einer Grundfläche von 761 m² kann z.B. mit einem 1,5-geschoßigen Einfamilienhaus mit bis zu 5 Zimmern und einer Wohn- und Nutzfläche von insgesamt ca. 142 m² im Erd- und Obergeschoss bebaut werden. Ein entsprechender Bauvorbescheid kann auf Wunsch zwecks Reaktivierung für das auf der beigefügten Flurkarte markierte Baufenster vorgelegt werden.
Grundrisse
Grundrisse
1 / 1
Realisiere Dein Projekt
Bausubstanz und Energie
Energieausweis
Ein Energieausweis ist für diesen Gebäudetyp nicht notwendig.
Preisdetails
Kaufpreis
185000 €185.000 €
243,10 €/m²
Provision für Käufer
Käuferprovision 3,57% inkl. 19% USt. vom Kaufpreis
Geschätzte Gesamtkosten
191.605 €1
Kaufpreis
185.000 €
Kaufnebenkosten
6.605 €
2
Provision für Käufer (3,57%)
6.605 €
1Der angezeigte Wert ist eine automatisch berechnete Schätzung von immowelt.
2Bei den Angaben handelt es sich um ortsübliche Werte. Individuelle Kosten können abweichen.
Lage
Teichkate 1, Borstel, Sülfeld (23845)
Die Lage des Grundstücks in Borstel ist besonders attraktiv für Pendler und Familien. Sie profitieren von der Nähe zur Busstation Borstel, die nur 180 m entfernt ist und schnelle Verbindungen zu den umliegenden Städten bietet. Ferner liegt das Grundstück unweit der B 432 nach Hamburg einerseits sowie Bad Segeberg andererseits sowie auch nahe der B 75 nach Lübeck.
Für Ihre täglichen Einkäufe ist der EDEKA Wittorf ein bequemer Anlaufpunkt, der sich nur 1.000 m entfernt befindet. Für gemütliche Mahlzeiten und Freizeitgestaltung bieten sich drei Restaurants in einer Entfernung von maximal 3 km, ideal für entspannte Ausflüge am Abend oder am Wochenende.
In der Umgebung finden Sie ebenfalls Kindergärten, Schulen, Ärzte und auch zahlreiche Freizeitmöglichkeiten, die das Leben bereichern. Parks und Grünanlagen laden zu einem aktiven Lebensstil und erholsamen Spaziergängen mit der Familie ein.
Weitere Informationen
Sonstiges
Nutzen Sie diese einmalige Gelegenheit, um in eine wachsende Region zu investieren, die sowohl Ruhe als auch unmittelbare Annehmlichkeiten bietet. Zögern Sie nicht und nehmen Sie Kontakt mit uns auf, um weitere Informationen zu erhalten oder eine Besichtigung des Grundstücks zu vereinbaren. Gestalten Sie Ihre Zukunft in Borstel – wir freuen uns darauf, Ihnen zu helfen!