Version: 8.24.0Navigation überspringen
679.900 €
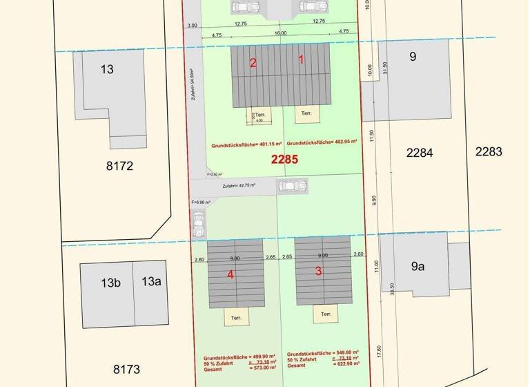
115 m²  •  401 m² Grundstück
Immowelt logo

Doppelhaushälfte zum Kauf - Erstbezug
679900 €
5.912 €/m²
115 m²  •  401 m² Grundstück

Neubau-Doppelhaushälfte in Bestlage Poppenbüttel – Modern, ruhig, familienfreundlich

In der gefragten Lage Poppenbüttel entwickeln wir gemeinsam mit Ihnen Ihr neues Zuhause.
Das angebotene Grundstück verfügt über 401 m² und ist optimal nach Süden ausgerichtet – ideale Voraussetzungen für helle Räume und ein sonniges Wohnumfeld. Die Grundstücksgröße kann in Abstimmung derzeit noch angepasst werden, wodurch Sie zusätzliche Flexibilität bei der Planung gewinnen.

Auf dieser Basis haben Sie die Möglichkeit, Ihr ganz persönliche Doppelhaushälfte zu realisieren. Mit bis zu 115 m² Wohnfläche auf zwei Ebenen lässt sich sowohl ein großzügiges, offenes Wohnkonzept als auch eine klassische, klar strukturierte Raumaufteilung umsetzen. jedes Projekt wird in massiver Bauweise individuell für Sie geplant und umgesetzt.

Profitieren Sie dabei von unserer Erfahrung aus über 1.000 gebauten und übergebenen Häusern. Diese Expertise ermöglicht es uns, auch besondere Ausstattungswünsche zu berücksichtigen und für Sie umzusetzen.

Das Grundstück kann von außen eingesehen werden; für eine persönliche Begehung vereinbaren Sie bitte einen Termin mit uns.

Merkmale

  • 401 m² Grundstück
  • Außen-Stellplatz
  • Garten
  • Terrasse
  • Badezimmer: Badewanne, Bad mit Dusche, Bad mit Fenster
  • Bodenbelag: Parkett
  • Fenster: Kunststoff

Grundrisse

Grundrisse
1 / 4

Realisiere Dein Projekt

Bausubstanz und Energie

Der Anbieter hat keine Informationen zum Energieverbrauch bereit gestellt.
  • Baujahr2026
  • Zustand der ImmobilieNeubau, Massivhaus, Erstbezug
  • HeizungsartFußbodenheizung
  • EnergieträgerElektro, Solar, Luft-/Wasser-Wärmepumpe
Immowelt logo

Preisdetails

Kaufpreis
679900 €
5.912,17 €/m²
Provision für Käufer
Projektierungspauschale von 3,57% auf den Grundstückspreis
Geschätzte Gesamtkosten
755.166 €1
Kaufpreis
679.900 €
Notarkosten (1,5%)
10.199 €
Grunderwerbsteuer (5,5%)
37.395 €
Provision für Käufer (3,57%)
24.272 €
Grundbucheintrag (0,5%)
3.400 €
1Der angezeigte Wert ist eine automatisch berechnete Schätzung von immowelt.
2Bei den Angaben handelt es sich um ortsübliche Werte. Individuelle Kosten können abweichen.

Lage

address-icon
Hinsbeker Berg 11PoppenbüttelHamburg (22399)
Das Grundstück befindet sich in einer ruhigen Wohngegend im Stadtteil Hamburg-Poppenbüttel. Diese Lage bietet die perfekte Kombination aus Stadtnähe und Naturverbundenheit.

Die Hinsbeker Berg ist eine Anliegerstraße, wodurch der Verkehr auf ein Minimum beschränkt ist. Dadurch genießen die Bewohner eine angenehme Ruhe und können dem hektischen Treiben der Großstadt entfliehen. Die Straße ist von gepflegten Einfamilienhäusern und grünen Vorgärten geprägt, was ein angenehmes und harmonisches Wohngefühl vermittelt.

Die Umgebung bietet zahlreiche Grünflächen und Naherholungsgebiete, darunter der Alsterlauf und der Alstertal-Einkaufszentrum. Auch der Alsterwanderweg und der Ohlsdorfer Park sind in unmittelbarer Nähe und bieten Möglichkeiten für Erholung und Entspannung.

Die Infrastruktur in dieser Gegend ist ausgezeichnet. Verschiedene Einkaufsmöglichkeiten, Supermärkte, Schulen und Kindergärten sind bequem zu Fuß oder mit dem Fahrrad erreichbar. Die Anbindung an den öffentlichen Nahverkehr ist ebenfalls sehr gut, mit mehreren Bus- und U-Bahn-Stationen in der Nähe, die eine schnelle und bequeme Verbindung in die Innenstadt und zu anderen Stadtteilen bieten.

Insgesamt bietet die Lage eine harmonische Mischung aus Ruhe, Natur und urbaner Lebensqualität. Die Bewohner können die Vorzüge einer Wohngegend genießen, die abseits des Stadttrubels liegt, aber dennoch alle Annehmlichkeiten des städtischen Lebens in Reichweite hat.

Weitere Informationen

Besichtigungstermine Ihre persönlichen Ansprechpartner:

Dage Wortmann
0151-18861544
040-524781416
dage.wortmann@gfg24.de Stichworte Versorgung: Städtische Wasserversorgung, Städtische Stromversorgung

Weitere Services

Lust auf eine Besichtigung?
Eine Frage zur Immobilie?
Nachricht hinzufügen
Mit der Nutzung der oben angegebenen Telefonnummer oder durch Klicken auf „Kontaktieren“ akzeptierst Du die Allgemeinen Nutzungsbedingungen, denen Du jederzeit widersprechen kannst. Weitere Informationen zum Datenschutz

Über den Anbieter

Pomonaring 115, 22926 Ahrensburg
partner badge
Partnerschaft
Firma GfG Hoch-Tief-Bau GmbH & Co.KG Dage Wortmann (HB)
Firma GfG Hoch-Tief-Bau GmbH & Co.KG Dage Wortmann (HB)Dein Kontakt

Weitere Unterlagen

Online-ID: 2mh3b5y
Referenznummer: HB_DW_DHH_2
GfG Hoch-Tief-Bau GmbH & Co. KG
title
GfG Hoch-Tief-Bau GmbH & Co. KG
Nachricht hinzufügen
Mit der Nutzung der oben angegebenen Telefonnummer oder durch Klicken auf „Kontaktieren“ akzeptierst Du die Allgemeinen Nutzungsbedingungen, denen Du jederzeit widersprechen kannst. Weitere Informationen zum Datenschutz
Wie zufrieden bist du mit dieser Seite (nicht mit der Immobilie selbst)?