++ Grundstück an der Theodor-Heuss-Straße - Mischgebiet ++
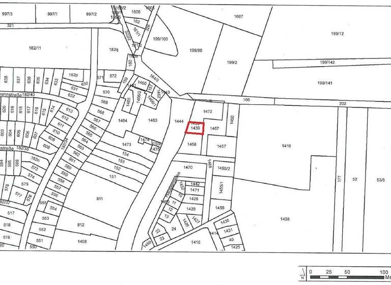
Bei diesem Verkaufsobjekt handelt es sich um unbebautes Grundstück im Stadtteil Paunsdorf. Das Flurstück verfügt über eine Grundstücksgröße von ca. 310 m² und ist derzeit mit Bäumen bewachsen.
Es befindet sich im Geltungsbereich des B-Planes Nr. 81 "Alte Ortslage Paunsdorf", Ausweisung als Mischgebiet, GRZ 0,6, Geschossigkeit III. Eine Bebauung zu Wohnen ist möglich. Vergnügungsstätten sind nicht zulässig.
Es gibt eine erste Prüfung der baulichen Machbarkeit gemäß dem B-Plan. Vorgesehen ist eine offene Bauweise, innerhalb der definierten Baulinie und Baugrenze. Eine Bebauung mit drei Vollgeschossen ist möglich. Bei einer max. Versieglung von 60 %, inkl. Flächen für Stellplatz/Garagen ist eine max. Grundfläche von 180m² möglich. Nach Abzug einer Standard-Doppelgarage würden für den Baukörper ca. 126m² Grundfläche zur Verfügung stehen.
Unter Einhaltung der Abstandsflächen, links und rechts je 3m sowie nach hinten einen Garten mit 5m Tiefe (mind. 3m), ergibt sich für den Baukörper eine Bruttogrundfläche von ca. 90m². Nach der ersten Prüfung ergibt sich entsprechend eine vermietbare Fläche von ca. 70m² pro Vollgeschoss (Wohn- oder Gewerbefläche).
Das Grundstück ist trink- und abwasserseitig erschlossen.
" frisch, engagiert, solide "
Die Künne Immobilien Gruppe ist professioneller Dienstleister der Immobilienbranche und steht Ihnen in den Bereichen Projektentwicklung, Verkauf, Vermietung, Verwaltung und Facility Management zur Verfügung.
Für weitere Informationen und Einblicke besuchen Sie unsere Homepage: www.kuenne-gruppe.de Sie wollen Ihre Immobilie verkaufen? Egal ob Mehrfamilien- oder Einfamilienhaus, Eigentumswohnung, Grundstück oder Neubau- bzw. Bauträgerprojekt. Wir vermitteln kompetent, transparent und zügig Ihre Immobilie, bundesweit.