

Grundstück zum Kauf950000 €1.799 €/m²528 m² Grundstück
950000 €
1.799 €/m²
528 m² Grundstück
Exklusives Baugrundstück in Leopoldskron - sonnige Ruhelage mit Bergblick
Merkmale
- Bezug: ab Sofort
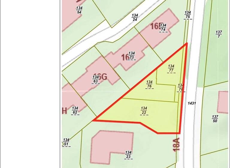
- 528 m² Grundstück
- teilweise erschlossen
Grundrisse
Grundrisse
1 / 1
Realisiere Dein Projekt
Bausubstanz und Energie
Möchtest du Details zum Energieverbrauch?

Preisdetails
Kaufpreis
950000 €
1.799,24 €/m²
Provision für Käufer
3 % zzgl. 20 % MwSt. inkl. MwSt.
Provisionspflichtige Immobilie: Käufercourtage 3 % zzgl. 20 % USt., sohin 3,6 % vom Kaufpreis
Provisionspflichtige Immobilie: Käufercourtage 3 % zzgl. 20 % USt., sohin 3,6 % vom Kaufpreis
Lage

Leopoldskron, Salzburg (5020)
Der Anbieter hat die genaue Adresse nicht freigegeben
Weitere Informationen
Weitere Services
Lust auf eine Besichtigung?
Eine Frage zur Immobilie?
Über den Anbieter
RVC Immobilien GruppeMaklerbüro
Kontaktadresse Österreich: Siezenheimer Straße 35, 5020 Salzburg
Partnerschaft
Herr Michael LichtmanneggerDein Kontakt
Online-ID: 24EKVYMNG9IN
Referenznummer: 3078

RVC Immobilien Gruppe
Wie zufrieden bist du mit dieser Seite (nicht mit der Immobilie selbst)?

