Version: 8.25.1Navigation überspringen
SaarRaum Immobilien GmbH
149.000 €
1.245 m² Grundstück

Grundstück zum Kauf
149000 €
120 €/m²
1.245 m² Grundstück

Baugrundstück mit Panoramablick in Saarburg-Blümchesfeld

Sonnige Hanglage mit Gartenareal in ruhigem Wohngebiet.

Dieses vielseitige Grundstück befindet sich in bevorzugter Wohnlage von Saarburg-Blümchesfeld - einem ruhigen und familienfreundlichen Stadtteil mit herrlicher Aussichtslage in südwestlicher Hangausrichtung.

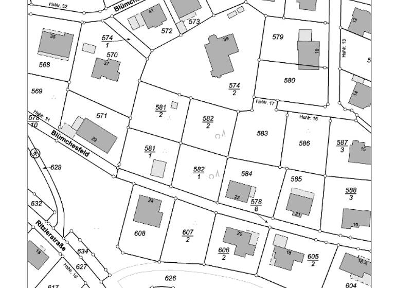
Die Liegenschaft besteht aus zwei zusammenhängenden Parzellen mit insgesamt 1.245m²

Fläche:
Flurstück 582/1 mit ca. 616m² - voll bebaubar
Flurstück 582/2 mit ca. 629m² - rückwärtiges Gartenland

Das rückseitige Gartenareal eignet sich ideal als grüne Rückzugsfläche mit viel Privatsphäre - sei es als naturnaher Nutzgarten, zur Gestaltung eines gemütlichen Freisitzes, für Obstpflanzungen oder eine Gartenhütte mit Grillterrasse. Zudem bietet es durch seine Lage einen natürlichen Sichtschutz zum darüberliegenden Nachbargrundstück.

Die Grundstücke liegen im Geltungsbereich des Bebauungsplans "Berggarten-Walles, 2. vereinfachte Änderung", konkret im Bereich der Ordnungsziffer 5.
Ausgewiesen ist ein allgemeines Wohngebiet (WA) mit offener Bauweise.
Zulässig sind sowohl Einzel- als auch Doppelhäuser.
Folgende bauliche Rahmenbedingungen gelten gemäß Bebauungsplan:
- Grundflächenzahl (GRZ): 0,4
- Zahl der Vollgeschosse: 2
- Firsthöhe (max.): 9,50m
- Dachform: geneigte Dächer sind vorgeschrieben
(in der Praxis wurden im gleichen Bereich jedoch bereits Flachdächer abweichend genehmigt - dies sollte entsprechend mit der zuständigen Baubehörde abgestimmt werden können)

Besonderheit: Die Zweigeschossigkeit dürfte gem. Bebauungsplan überschritten werden, sofern es sich um ein durch den natürlichen Geländeverlauf freiliegendes Kellergeschoss im Sinne des §2(4) LBauO handelt.

Besonders hervorzuheben ist die herrliche Süd-Südwest-Ausrichtung zur Straßenseite, die ganztägig Sonne und ein großzügiges Panorama über Saarburg und das umliegende Saartal ermöglicht.

Fazit:
Ein ideales Grundstück für Bauherren mit Wunsch nach einem Zuhause im Grünen - mit flexiblen Nutzungsmöglichkeiten, viel Licht, Privatsphäre und einem traumhaften Ausblick.

Merkmale

  • 1.245 m² Grundstück
  • Bebauungsplan
  • voll erschlossen
Gesamtfläche: 1.245m² (zwei zusammenhängende Parzellen)

Flurstück 582/1: ca. 616m², voll bebaubar
Flurstück 582/2: ca. 629m², rückwärtiges Gartenland

Gartenland ideal für: Nutzgarten, Freisitz, Obstpflanzung, Gartenhütte, Grillterrasse

Natürlicher Sichtschutz zum Nachbargrundstück durch Hanglage

Baurechtliche Rahmenbedingungen:

- Bebauungsplan
"Berggarten-Walles, 2. vereinfachte Änderung", Ordnungsziffer 5

-Allgemeines Wohngebiet (WA), offene Bauweise
-Zulässig: Einzel- und Doppelhäuser
-GRZ (Grundflächenzahl): 0,4
-Zahl der Vollgeschosse: 2
-Maximale Firsthöhe: 9,50m
-Dachform: geneigte Dächer vorgeschrieben
(Abweichungen wie Flachdächer vss. möglich nach Absprache mit Baubehörde)

Sonderregelung: Überschreitung der 2 Vollgeschosse erlaubt bei freiliegendem Kellergeschoss gemäß §2(4) LBauO

Grundrisse

Grundrisse
1 / 1

Realisiere Dein Projekt

Bausubstanz und Energie

Möchtest du Details zum Energieverbrauch?info_energy_calculation-icon
MediumRectangleTop

Preisdetails

Kaufpreis
149000 €
119,68 €/m²
Provision für Käufer
3,57% inkl. Ust.
Geschätzte Gesamtkosten
154.319 €1
Kaufpreis
149.000 €
Provision für Käufer (3,57%)
5.319 €
1Der angezeigte Wert ist eine automatisch berechnete Schätzung von immowelt.
2Bei den Angaben handelt es sich um ortsübliche Werte. Individuelle Kosten können abweichen.

Lage

address-icon
Saarburg (54439)
Der Anbieter hat die genaue Adresse nicht freigegeben
Saarburg-Blümchesfeld zählt zu den begehrten Wohngebieten der Stadt Saarburg.

In ruhiger Hanglage, vereint das verkehrsberuhigte (30er Zone) Quartier eine naturnahe Umgebung mit exzellenter Infrastruktur.

Zentrum Saarburg: nur wenige Fahrminuten oder fußläufig erreichbar - mit Altstadtflair, Cafés, Einzelhandel und ärztlicher Versorgung.

Bahnhof Saarburg: ca. 2km entfernt, mit direkter Zugverbindung nach Trier, Luxemburg und Koblenz.

ÖPNV: Bushaltestellen mit Anbindung an Innenstadt und Umland in der Nähe

Nahversorgung: Supermärkte, Apotheke, Bäckereien und Discounter befinden sich im direkten Umkreis.

Bildung & Betreuung: Kindergärten, Grundschule, weiterführende Schulen und Berufsschulen sind tlws. fußläufig in Saarburg angesiedelt.

Freizeit & Natur:

Das Baugrundstück befindet sich in einem ruhigen Wohngebiet am Stadtrand von Saarburg. Der nahegelegene Wald ist fußläufig erreichbar und lädt zu Spaziergängen in naturnaher Umgebung ein. Auch das Freibad, die Sommerrodelbahn sowie der Freizeitbereich Warsberg befinden sich in der Nähe und bieten abwechslungsreiche Freizeitmöglichkeiten für Groß und Klein.

Verkehrsanbindung: Über die B51 und B407 schneller Anschluss an die A1 (Richtung Trier-Koblenz) und A64 (Richtung Luxemburg).

Weitere Informationen

Sonstiges Provision:
Die Maklerprovision in Höhe von 3,57% inkl. 19 % MwSt. vom Kaufpreis ist mit Abschluss des Kaufvertrages verdient und fällig. RE/MAX erhält einen unmittelbaren Zahlungsanspruch gegenüber dem Käufer (Vertrag zugunsten Dritter, § 328 BGB). Der Makler ist auch für den Verkäufer in gleicher Höhe provisionspflichtig tätig.

Hinweise:
Bitte beachten Sie, dass dieses Angebot anhand der uns vom Eigentümer zur Verfügung gestellten Daten und Unterlagen erstellt wurde. Trotz aller Sorgfalt können wir für die Richtigkeit und Vollständigkeit der Angaben keine Gewähr übernehmen. Ebenso dienen Pläne einer ersten Übersicht und können von der Realität abweichen.
Widerrufsbelehrung und Datenschutzinformation
Mit Ihrer Kontaktaufnahme erhalten Sie - sollte diese per E-mail oder persönlich erfolgen - unaufgefordert unsere Widerrufsbelehrung wie auch Datenschutzinformation zugesandt bzw. ausgehändigt.
Verbraucherinformationen:
Online-Streitbeilegung gemäß Art. 14 Abs. 1 ODR-VO: Die Europäische Kommission stellt eine Plattform zur Online-Streitbeilegung (OS) bereit, die Sie hier finden: https://ec.europa.eu/consumers/odr"
Hat diese Immobilie Ihr Interesse geweckt? Gerne stehe ich Ihnen für Ihre Fragen oder für einen Besichtigungswunsch zur Seite. Ich freue mich auf Ihren Anruf.
Bei Interesse senden Sie uns bitte eine Anfrage mit Ihren vollständigen Kontaktdaten. Stichworte GRZ: 0,4

Weitere Services

Lust auf eine Besichtigung?
Eine Frage zur Immobilie?
Nachricht hinzufügen
Mit der Nutzung der oben angegebenen Telefonnummer oder durch Klicken auf „Kontaktieren“ akzeptierst Du die Allgemeinen Nutzungsbedingungen, denen Du jederzeit widersprechen kannst. Weitere Informationen zum Datenschutz

Über den Anbieter

Graf-Siegfried-Straße 8, 54439 Saarburg
partner badge
Partnerschaft
Herr Maik Hanke
Herr Maik HankeDein Kontakt
Online-ID: 256KRD6E6CI4
Referenznummer: 1155-32-MH
SaarRaum Immobilien GmbH
title
SaarRaum Immobilien GmbH
Bewertung: 4,5 von 5 Sternen
Nachricht hinzufügen
Mit der Nutzung der oben angegebenen Telefonnummer oder durch Klicken auf „Kontaktieren“ akzeptierst Du die Allgemeinen Nutzungsbedingungen, denen Du jederzeit widersprechen kannst. Weitere Informationen zum Datenschutz
MediumRectangleTop
MediumRectangleBottom
MediumRectangleTop
Wie zufrieden bist du mit dieser Seite (nicht mit der Immobilie selbst)?