Version: 8.25.1Navigation überspringen
225.000 €
585 m² Grundstück
Immowelt logo

Grundstück zum Kauf
225000 €
385 €/m²
585 m² Grundstück

Grundstück mit vielen Möglichkeiten

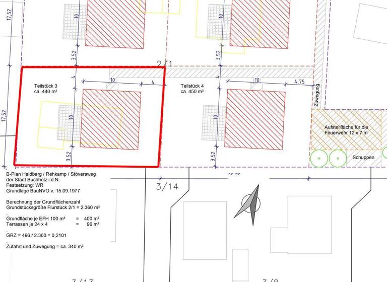
Das ca. 585 m² große Grundstück verfügt über eine geteilte Zufahrt und einen rechteckigen Zuschnitt und bietet spannende Bebauungsmöglichkeiten. Grundsätzlich können Sie nach §34 BauGB planen, eine Baubindung besteht nicht. In der Nachbarschaft sind in jüngster Zeit verschiedene, ansprechende Neubauten entstanden. Eine positive Bauvoranfrage für Einfamilienhäuser mit einer GFZ von 0,5 und einer GRZ von 0,4 liegt bereits vor. Die Abrisskosten der derzeitigen Einfamilienhäuser aus den 60er Jahren sowie Baumrodung gehen zu Lasten des Käufers und belaufen sich auf ca. 12.500 € pro Grundstück. Weitere Anträge zu einer Bauvoranfrage oder einer Baugenehmigung sind vom Kaufinteressenten im eigenen Namen zu stellen.
Idealerweise eignet sich dieses Grundstück für Familien, Paare oder Senioren, die in ruhiger und zentrumsnaher Lage wohnen möchten.

Merkmale

  • Bezug: ab sofort
  • 585 m² Grundstück
  • unerschlossen

Grundrisse

Grundrisse
1 / 1

Realisiere Dein Projekt

Bausubstanz und Energie

Möchtest du Details zum Energieverbrauch?info_energy_calculation-icon
Immowelt logo

Preisdetails

Kaufpreis
225000 €
384,62 €/m²
Provision für Käufer
6,25 % inkl. MwSt. inkl. MwSt.
Geschätzte Gesamtkosten
239.063 €1
Kaufpreis
225.000 €
Provision für Käufer (6,25%)
14.063 €
1Der angezeigte Wert ist eine automatisch berechnete Schätzung von immowelt.
2Bei den Angaben handelt es sich um ortsübliche Werte. Individuelle Kosten können abweichen.

Lage

address-icon
Buchholz (21244)
Der Anbieter hat die genaue Adresse nicht freigegeben
Buchholz in der Nordheide ist mit seinen rund 40.000 Einwohnern die größte Stadt und nach Seevetal die zweitgrößte Gemeinde des Landkreises Harburg. Sie befindet sich etwa 20 km südlich von Hamburg, etwa 120 km nördlich von Hannover und etwa 80 km nordöstlich von Bremen. Die Stadt Buchholz verfügt über alle gängigen Schulformen. Fußläufig erreichen Sie vier Kindergärten, die Grundschule Steinbeck, die Wiesen- und die Waldschule sowie die Grone-Schulen. Die Gesamtschule befindet sich in ca. drei Kilometern Entfernung, genau wie die Schwimmhalle und das Freibad. Bis in die Innenstadt von Buchholz sind es ca. 2,2 Kilometer, wo Sie eine Vielzahl an Einkaufsmöglichkeiten, Restaurants, Bars, diverse Fachärzte und Apotheken finden. Die nächste Bushaltestelle befindet sich in ca. zwei Gehminuten Entfernung zu der hier zum Kauf angebotenen Immobilie. Mehrere Buslinien fahren hier jede halbe Stunde.

Weitere Informationen

Stichworte Bundesland: Niedersachsen, Distanz zum Kindergarten: 1.00, Distanz zur Grundschule: 1.00, Distanz zur nächsten Einkaufsmöglichkeit: 2.00, Distanz zum Gymnasium: 3.00, Distanz zur Autobahn: 5.00, Distanz vom Zentrum: 2.00

Weitere Services

Lust auf eine Besichtigung?
Eine Frage zur Immobilie?
Nachricht hinzufügen
Mit der Nutzung der oben angegebenen Telefonnummer oder durch Klicken auf „Kontaktieren“ akzeptierst Du die Allgemeinen Nutzungsbedingungen, denen Du jederzeit widersprechen kannst. Weitere Informationen zum Datenschutz

Über den Anbieter

Bleichenbrücke 9, 20354 Hamburg
partner badge
Partnerschaft
Frau Jacqueline Huwald
Frau Jacqueline HuwaldDein Kontakt
Online-ID: 25YE15855QYK
Referenznummer: 597411_3
Grossmann & Berger GmbH
title
Grossmann & Berger GmbH
Bewertung: 4,2 von 5 Sternen
Nachricht hinzufügen
Mit der Nutzung der oben angegebenen Telefonnummer oder durch Klicken auf „Kontaktieren“ akzeptierst Du die Allgemeinen Nutzungsbedingungen, denen Du jederzeit widersprechen kannst. Weitere Informationen zum Datenschutz
Wie zufrieden bist du mit dieser Seite (nicht mit der Immobilie selbst)?