
MAGRA Martin Gramlich Immobilien GmbH
Herr Martin Gramlich
+49 ···
Nr. anzeigenPreise & Kosten
Provision für Käufer
Keine Käuferprovision
Die Immobilie
Zu diesem Angebot wurden vom Anbieter keine weiteren Daten hinterlegt. Für weitere Informationen bitte den Anbieter kontaktieren.
Nach Informationen fragenDetails
Objektbeschreibung
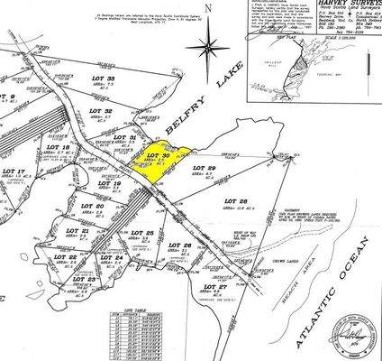
Dieses wunderschöne See-Ufergrundstück finden Sie in geschützter Lage am Belfry Lake auf Cape Breton direkt an einer geschotterten öffentlichen Straße (Belfry Lake Road), die zum nahe gelegenen Atlantik führt.
Das ca. 10.117 m² große Grundstück ist vermessen und kann kurzfristig bebaut werden. Es verfügt über rd. 98...
Weitere Informationen
Sonstiges
Immobilien in Kanada - http://www.immo-kanada.de
Stichworte
Grundstücksfront: 98,00 m
Anbieter der Immobilie

MAGRA Martin Gramlich Immobilien GmbH
Einsteinstr. 5, 78655 Dunningen
Online-ID: 2m88g5p
Referenznummer: 1-3104
Finde Angebote wie dieses
Hier geht es zu unserem Impressum, den Allgemeinen Geschäftsbedingungen, den Hinweisen zum Datenschutz und nutzungsbasierter Online-Werbung.