

Gröschel Immobilien GmbH
Frau Anke Gröschel
+49 ···
Nr. anzeigenPreise & Kosten
Provision für Käufer
2,975 % vom Kaufpreis inkl. 19 % MwSt.;
bei Kaufvertragsabschluss vom Käufer an Gröschel Immobilien GmbH zahlen.
Lage
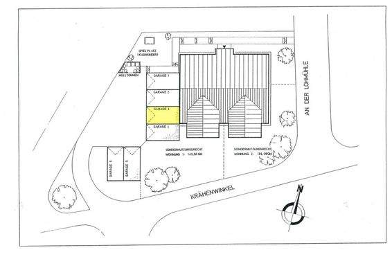
Ruhige Wohnlage an der Lohmühle in Schnaittach-Hedersdorf. Der Bahnhof ist gut zu Fuß erreichbar. Einkaufsmöglichkeiten, Kindergarten, Grund- und Hauptschule sind gut erreichbar.
Die Wohnung
Bezug
Frei ab sofort!
Wohnanlage
Energie & Heizung
Warum sehe ich diese Anzeige? – Du siehst diese Anzeige basierend auf Ihrer Navigation auf unserer Website und den Suchkriterien, die du verwendet hast.
Energieausweistyp
Verbrauchsausweis
Gebäudetyp
Wohngebäude
Baujahr laut Energieausweis
1992
Gültigkeit
bis 18.06.2034
Effizienzklasse
C
Endenergieverbrauch
79,60 kWh/(m²·a) - Warmwasser enthalten
Weitere Energiedaten
Energieträger
Öl
Details
Objektbeschreibung
3-Zimmer-Eigentumswohnung, 1. Obergeschoss mit Süd-West-Balkon, ca. 83 m² Wohnfläche in einem gepflegten 6-Familien-Haus, Baujahr 1992. Die Wohnung teilt sich auf in ein großzügiges Wohn-Esszimmer mit ca. 33 m² Wfl., Küche ca. 5,9 m², Garderobe ca. 1,9 m², Kinder- bzw. Arbeitszimmer ca. 11,9 m², Schlafzimmer ca. 13,6 m², Flur...
Ausstattung
Das Haus wird über eine Öl-Zentralheizung mit Warmwasseraufbereitung beheizt, welche 2022 erneuert wurde. Die Fenster sind isolierverglast aus Holz.
Preisinformation
1 Garagenstellplatz
Anbieter der Immobilie

Online-ID: 2kcdf5a
Referenznummer: 908
Finde Angebote wie dieses
Hier geht es zu unserem Impressum, den Allgemeinen Geschäftsbedingungen, den Hinweisen zum Datenschutz und nutzungsbasierter Online-Werbung.