Version: 8.24.1Navigation überspringen
24.000 €
10.117 m² Grundstück
Immowelt logo

Grundstück zum Kauf
24000 €
2,37 €/m²
10.117 m² Grundstück

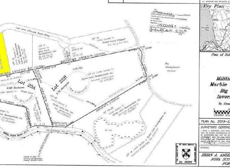
Cape Breton - Bras d`Or Lake - Wunderschönes Mischwald-Grundstück in Malagawatch / Marble Mountain

Dieses wunderschöne Grundstück mit herrlichen Mischwaldbestand finden Sie in einer bei Europäern und Kanadiern sehr beliebten kleinen Erschließung in Malagawatch am Marble Mountain auf Cape Breton oberhalb einer geschützten Bucht des weltberühmten Bras d`Or Lake.

Das Grundstück grenzt im vorderen Bereich teilweise an die Marble Mountain Road an (asphaltierte "public road") und schmiegt sich auch entlang der "Lee Lane", einer geschotterten "subdivision road", welche in die kleine familiäre Erschließung führt. Das Lot ist vermessen und kann kurzfristig bebaut werden.

Mit einer Fläche von rd. 10.117 m² bietet das Grundstück ideale Möglichkeiten für die Bebauung mit einem Wohn- bzw. Ferienhaus. Strom und Telefon sind sowohl vorne an der "public road" als auch entlang der privaten Erschließungsstraße vorhanden.

Zum beliebten Dundee-Golf-Resort sind es nur rd. 30 Minuten. Port Hawkesbury mit vielen Geschäften des täglichen Bedarfs, Ärzten, Apotheken, Restaurants, Behörden und Schulen ist in ca. 45 Minuten mit dem Auto zu erreichen.

In Kombination mit den vielfältigen Wassersportmöglichkeiten auf dem weitläufigen Bras d`Or Lake bietet das Grundstück ein attraktives Rückzugsdomizil der ganz besonderen Art - und das zum absolut günstigen Einstiegspreis.

Der Kaufpreis in Euro wurde auf der Basis des Angebotspreises in Kanada ermittelt. Maßgeblich für den Kaufvertrag ist der Angebotspreis in kanadischen Dollar mit CAD 39,000.

Direkt-Link zu unserer Kanada-Website: www.immo-kanada.de

Merkmale

  • Bezug: sofort
  • 10.117 m² Grundstück

Grundrisse

Grundrisse
1 / 1

Realisiere Dein Projekt

Bausubstanz und Energie

Der Anbieter hat keine Informationen zu Energieverbrauch oder Zustand der Immobilie bereit gestellt.
Immowelt logo

Preisdetails

Kaufpreis
24000 €
2,37 €/m²
Provision für Käufer
Keine Käuferprovision

Lage

address-icon
Belle View LaneMalagawatch (020)

Weitere Informationen

Sonstiges
Immobilien in Kanada - http://www.immo-kanada.de

Weitere Services

Lust auf eine Besichtigung?
Eine Frage zur Immobilie?
Nachricht hinzufügen
Mit der Nutzung der oben angegebenen Telefonnummer oder durch Klicken auf „Kontaktieren“ akzeptierst Du die Allgemeinen Nutzungsbedingungen, denen Du jederzeit widersprechen kannst. Weitere Informationen zum Datenschutz

Über den Anbieter

Einsteinstr. 5, 78655 Dunningen
Herr Martin GramlichDein Kontakt
Online-ID: 2lm7h5p
Referenznummer: 1-2906
MAGRA Martin Gramlich Immobilien GmbH
MAGRA Martin Gramlich Immobilien GmbH
Nachricht hinzufügen
Mit der Nutzung der oben angegebenen Telefonnummer oder durch Klicken auf „Kontaktieren“ akzeptierst Du die Allgemeinen Nutzungsbedingungen, denen Du jederzeit widersprechen kannst. Weitere Informationen zum Datenschutz
Wie zufrieden bist du mit dieser Seite (nicht mit der Immobilie selbst)?