Version: 8.24.0Navigation überspringen
ohne-makler.net - Immobilien selbst vermarkten
352.000 €
800 m² Grundstück

Grundstück zum Kauf • provisionsfrei
352000 €
440 €/m²
800 m² Grundstück

Erschlossenes Baugrundstück 800qm in guter Lage von Höchstadt an der Aisch

Das zum Verkauf stehende Baugrundstück, mit einer beachtlichen Größe von 800 Quadratmetern, befindet sich in einer idyllischen Lage im Westen von Höchstadt. Eingebettet in einer Sackgasse, umgeben von einer friedlichen Nachbarschaft von Einfamilienhäusern, verspricht es eine ruhige und sichere Umgebung.

Ideal für das Familienleben, liegt das Grundstück in unmittelbarer Nähe zu Bildungs- und Betreuungseinrichtungen: Eine Realschule, eine Grundschule und eine Kindertagesstätte sind bequem zu Fuß erreichbar. Diese Nähe bietet nicht nur Bequemlichkeit, sondern auch eine wunderbare Gelegenheit für Kinder, in einer fördernden Umgebung aufzuwachsen.

Für den täglichen Bedarf liegen ein Kaufland und ein Aldi nur einen Katzensprung entfernt, was den Einkauf einfach und schnell macht. Darüber hinaus ist die Gegend reich an Freizeitmöglichkeiten - zahlreichen Spielplätzen und Sportanlagen in der Nähe. Ein Krankenhaus ist ebenfalls in der Nähe.

Die Verkehrsanbindung ist ebenfalls bestens gegeben. Dank der nahen Autobahnen A3, B470 und B505 ist eine schnelle Anbindung an umliegende Städte gewährleistet.

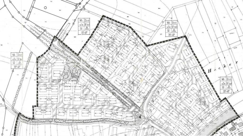
Hinsichtlich des Bebauungsplans ist das Gebiet als allgemeines Wohngebiet ausgewiesen. Ein Einfamilienhaus sowie ein Doppelhaus darf auf dem Grundstück gebaut werden. Erlaubt sind zwei Vollgeschosse (Erdgeschoss plus Dachgeschoss). Ein Keller und ein Dachboden zählen dabei nicht als vollwertige Geschosse und bieten somit zusätzlichen Raum. Architektonisch ist ein Satteldach vorgeschrieben, mit einer Dachneigung zwischen 35-48°. Die maximale Wohnfläche darf 330 Quadratmeter betragen, während die maximale Grundfläche für Bebauungen 400 Quadratmeter nicht überschreiten darf.

Weitere Details und der vollständige Bebauungsplan sind hier in der Anzeige hinzugefügt und auf der Webseite der Stadt Höchstadt einsehbar.

Blindanschlüsse für Wasser und Kanal sind bereits vorhanden.

Der Verkauf findet privat statt, somit sparen Sie sich die Maklergebühren.

Merkmale

  • Bezug: sofort
  • 800 m² Grundstück
  • voll erschlossen

Realisiere Dein Projekt

Bausubstanz und Energie

Der Anbieter hat keine Informationen zu Energieverbrauch oder Zustand der Immobilie bereit gestellt.
MediumRectangleTop

Preisdetails

Kaufpreis
352000 €
440 €/m²
Provision für Käufer
provisionsfrei; keine Provision, courtagefrei
Geschätzte Gesamtkosten
352.000 €1
Kaufpreis
352.000 €
1Der angezeigte Wert ist eine automatisch berechnete Schätzung von immowelt.

Lage

address-icon
Sibylla-Weiß-Weg 11HöchstadtHöchstadt an der Aisch (91315)
Realschule, Grundschule, Kindertagesstätte, Kaufland & Aldi in Fußnähe. Sackgasse, perfekte Lage für junge Familien!
Infrastruktur (im Umkreis von 5 km):
Apotheke, Lebensmittel-Discount, Allgemeinmediziner, Kindergarten, Grundschule, Hauptschule, Realschule, Gymnasium, Öffentliche Verkehrsmittel

Weitere Informationen

Sonstiges Makleranfragen nicht erwünscht. Nach § 7 UWG sind unaufgeforderte Kontaktaufnahmen durch Makler ohne ausdrückliche Einwilligung des Empfängers verboten!

ohne-makler (OM) ist weder Anbieter noch Vermittler der Immobilie. OM betreibt eine Plattform für Immobilieneigentümer, die unter anderem die gleichzeitige Veröffentlichung einzelner Inserate auf mehreren Immobilienportalen ermöglicht. Die Inhalte dieser Inserate werden ausschließlich von Dritten verantwortet. Für die Richtigkeit, Vollständigkeit oder Rechtmäßigkeit der Angaben übernimmt OM keine Haftung. Hinweise auf mögliche Rechtsverstöße können jederzeit gemeldet werden und werden nach Prüfung umgehend bearbeitet. Stichworte Bundesland: Bayern

Weitere Services

Lust auf eine Besichtigung?
Eine Frage zur Immobilie?
Nachricht hinzufügen
Mit der Nutzung der oben angegebenen Telefonnummer oder durch Klicken auf „Kontaktieren“ akzeptierst Du die Allgemeinen Nutzungsbedingungen, denen Du jederzeit widersprechen kannst. Weitere Informationen zum Datenschutz

Über den Anbieter

Humboldtstr. 25 A, 21509 Glinde
partner badge
Partnerschaft
Privat von Alexander LifkaDein Kontakt
Keine Telefonnummer hinterlegt
Keine Telefonnummer hinterlegt

Weitere Unterlagen

Online-ID: 2nshx5p
Referenznummer: 337159
ohne-makler.net - Immobilien selbst vermarkten
ohne-makler.net - Immobilien selbst vermarkten
Nachricht hinzufügen
Mit der Nutzung der oben angegebenen Telefonnummer oder durch Klicken auf „Kontaktieren“ akzeptierst Du die Allgemeinen Nutzungsbedingungen, denen Du jederzeit widersprechen kannst. Weitere Informationen zum Datenschutz
MediumRectangleTop
MediumRectangleBottom
MediumRectangleTop
Wie zufrieden bist du mit dieser Seite (nicht mit der Immobilie selbst)?